teren intTavilan situat in Viisoara, Jud. Bistrita-Nasaud, Str. Haiducului,

254.000 €
40 € / mp

Viişoara, Judeţul Bistriţa Năsăud

Suprafață teren:
6.350 mp

Descriere teren

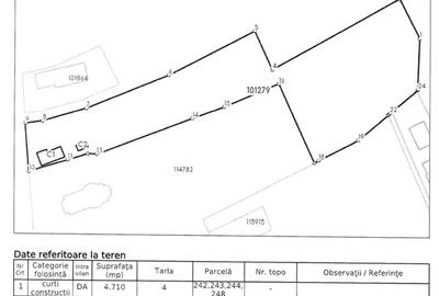
De vanzare in EXCLUSIVITATE teren intravilan situat in Viisoara, judetul Bistrita-Nasaud, pe Strada Haiducului, intr-o zona in plina dezvoltare, ideala pentru constructia de locuinte. Terenul este parcelat in 4 loturi, conform schitei: Lot 1: 1550 mp Lot 2: 1550 mp Lot 3: 1550 mp Lot 4: 1700 mp Suprafata totala: 6350 mp, terenul se vinde si pe loturi individuale, conform schita. - Deschidere generoasa la drum de exploatare - Acces facil din strada principala - Zona linistita, cu priveliste deosebita - Case noi construite in apropiere - Utilitati in imediata apropiere (curent, apa, gaz) Terenul se vinde: toata parcela ndash; ideal pentru dezvoltator imobiliar sau separat pe fiecare parcela Pret: 4000 Euro ar ndash; NEGOCIABIL Oportunitate excelenta atat pentru investitie, cat si pentru constructia unei locuinte intr-o zona aerisita, cu panorama frumoasa asupra orasului. Pentru mai multe detalii sau programarea unei vizionari: Lenuta Iakab Broker imobiliar Owner ndash; Alpha Imobiliare Bistrita Telefon: Email: [email protected] Website: Adresa: Bistrita, Piata Petru Rares, Nr. 7A, Birou 3 ID anun? : 1772610007
Citește mai mult Citește mai puțin
Apă Gaz

Detalii teren

ID anunț: 3714877 Actualizat în: 04 Martie 2026
Suprafață teren: 6.350 mp

Istoric preț

Facilități

Utilități
Apă Gaze

Proprietăți similare

Teren de 11600 mp, în Central
248.000 €
Bistrița, Central
11.600 mp teren
Teren în Domnești
259.050 €
Județul Bistrița Năsăud, Domnești
Teren în Central
250.000 €
Bistrița, Central
Teren în Domnești
255.000 €
Județul Bistrița Năsăud, Domnești
Teren în Central
270.000 €
Bistrița, Central
Teren de 14500 mp, în Central
250.125 €
Bistrița, Central
14.500 mp teren
Teren de 505 mp, în Central
250.000 €
Bistrița, Central
505 mp teren
Teren de 23185 mp, în Central
230.000 €
Bistrița, Central
23.185 mp teren

Abonează-te la newsletter să fii primul care primește cele mai noi recomandări de proprietăți și sfaturi de la experți.