3 zile în urmă
8
- Agenție
Licitatii publice pentru vanzare terenuri in Focsani
255.976 €
7.04 €
/ mp
Central, Focşani
Descriere
Sesizează o problemă
Licitatii publice pentru vanzare terenuri in Focsani
Licitatii publice pentru vanzare terenuri in Focsani
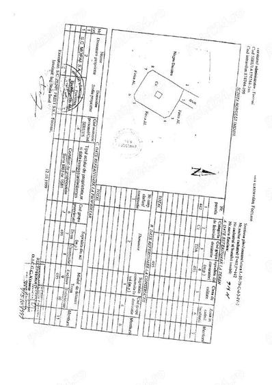
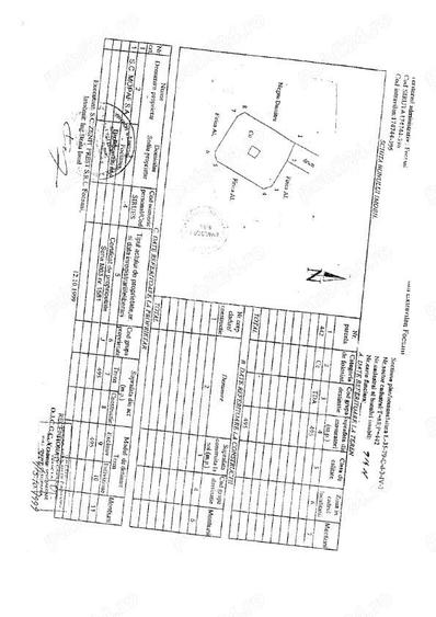
Lichidatorul judiciar al REAL ESTATE VISION SRL organizeaza 2 licitatii publice in datele de 10.02.2026 si 17. ra 13.00 pentru vanzarea urmatoarelor loturi de teren situate in Focsani, bd. Bucuresti nr. 4, judetul Vrancea (fost MOPAF Vrancea): 1. Teren in suprafata de 36.386 mp, categorie de folosinta cai ferate (cai ferate dezafectate, cu posibilitate schimbare destinatie construibil), situat in Focsani, Jud. Vrancea, tarla 125; 158, parcela 658; 8121, numar cadastral 907N, CF 51741 pret 255.976 euro + tva; 2. Teren in suprafata de 124 mp, categorie de folosinta curti constructii, intravilan, situat in Focsani, bd. Bucuresti nr. 4, Jud. Vrancea, tarla 158, parcela 8122, numar cadastral 909N, CF 52589 si constructia anexa -putul nr. 6 dezafectat, numar cadastral 909N-C1 -pret 6.907 euro + tva; 3. Teren in suprafata de 495 mp, categorie de folosinta curti constructii, intravilan, situat in Focsani, bd. Bucuresti nr. 4, Jud. Vrancea, tarla 88, parcela 442, numar cadastral 914N, CF 52950 si constructia anexa -putul nr. 8 dezafectat, numar cadastral 914N-C1 -pret 14.306 euro + tva; 4. Teren in suprafata de 250 mp, categorie de folosinta curti constructii, intravilan, situat in Focsani, bd. Bucuresti nr. 4, Jud. Vrancea, tarla 128, parcela 8096, numar cadastral 918N, CF 52608 si constructia anexa -putul nr. 5 dezafectat, numar cadastral 918N-C1 -pret 3.491 euro + tva. ID anun? : 1729101104
Citește mai mult
Citește mai puțin
ID anunț: 3359824
Actualizat în: 03 Februarie 2026
Suprafață teren:
36.386 mp
Istoric preț
Proprietăți similare
Abonează-te la newsletter să fii primul care primește cele mai noi recomandări de proprietăți și sfaturi de la experți.
Căutări similare
- Terenuri de vânzare în Central
- Terenuri de vânzare în Focșani
- Terenuri de vânzare în Gară
- Terenuri de vânzare în Obor
- Terenuri de vânzare în Brăilei
- Terenuri de vânzare în Est
- Terenuri de vânzare în Exterior Vest
- Terenuri de vânzare în Nord
- Terenuri de vânzare în Periferie
- Terenuri de vânzare în Vest