
6 zile în urmă
8
- Agenție
- Comision 0%
Florentina Radulescu
108.000 €
Actualizat pe: 16 Oct 2025
-
Teren sportiv
aprox. 1136 m -
Teren sportiv
aprox. 1218 m
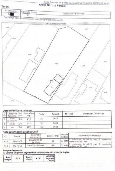
Teren intravilan-constructii | 901 mp | Stefanestii de Jos - Strada Violetelor
108.000 €
Ștefăneștii de Jos, Județul Ilfov
Descriere
Raportează anunț
Sesizează o problemă
Teren intravilan-constructii | 901 mp | Stefanestii de Jos - Strada Violetelor
Teren intravilan-constructii | 901 mp | Stefanestii de Jos - Strada Violetelor
Aceasta proprietate reprezinta o oportunitate excelenta pentru cei care isi doresc sa construiasca o casa intr-o zona linistita si bine pozitionata, in Stefanestii de Jos, pe Strada Violetelor nr. 5. Terenul are o suprafata de 901 mp si un front stradal de 17 metri, oferind spatiu amplu pentru realizarea unei locuinte confortabile, cu gradina si anexe, conform propriului proiect.
Terenul este imprejmuit, are toate utilitatile disponibile in zona - canalizare, gaz, curent electric - si beneficiaza de acces facil la mijloacele de transport in comun, ceea ce il face ideal pentru o familie care isi doreste o locuinta intr-o zona accesibila, dar linistita.
Pe teren se afla o casa batraneasca demolabila, cu o amprenta la sol de 51 mp, oferind posibilitatea de a demara rapid o noua constructie. Proprietatea dispune si de pomi fructiferi, creand un cadru natural placut si primitor.
Locatia imbina linistea unei zone rezidentiale cu apropierea de principalele artere si facilitati ale orasului, fiind perfecta pentru cei care isi doresc sa construiasca o casa intr-un mediu curat si echilibrat.
Daca va doriti un loc potrivit pentru viitorul camin al familiei dumneavoastra, acest teren poate fi exact ceea ce cautati. Contactati-ma pentru mai multe detalii sau pentru a programa o vizionare.
Citește mai mult
Citește mai puțin
ID anunț: 9480501
Actualizat în: 16 Octombrie 2025
Suprafață teren:
901 mp
Tip teren:
Construcții
Clasificare teren:
Intravilan
Front stradal:
17 m
Istoric preț
Utilități
Utilități
Apă
Gaze
Canalizare
Facilități
Utilități în zonă
Proprietăți similare
Abonează-te la newsletter să fii primul care primește cele mai noi recomandări de proprietăți și sfaturi de la experți.
Căutări similare
- Terenuri construcții de vânzare în Ștefăneștii de Jos
- Terenuri construcții de vânzare în Otopeni
- Terenuri construcții de vânzare în Popești-Leordeni
- Terenuri construcții de vânzare în Corbeanca
- Terenuri construcții de vânzare în Berceni
- Terenuri construcții de vânzare în Balotești
- Terenuri construcții de vânzare în Domnești
- Terenuri construcții de vânzare în Voluntari
- Terenuri construcții de vânzare în Bragadiru
- Terenuri construcții de vânzare în Snagov
- Terenuri construcții de vânzare în Tunari
- Terenuri construcții de vânzare în Buftea