Teren cu casa demolabila de 740 mp teren | 26ml front | Dambul Rotund

360.000 € / lună
486.49 € / mp / lună

Dâmbul Rotund, Cluj-Napoca

Suprafață teren:
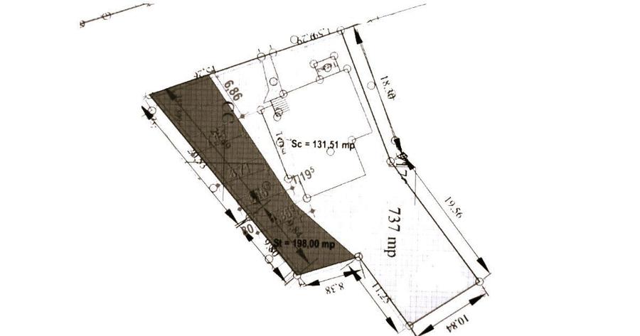
740 mp
Nr. niveluri:
1

Descriere spațiu comercial

Va propunem spre vanzare un teren in cartierul Dambul-Rotund. Pe teren exista o casa demolabila. Proprietatea este ideala pentru investitie sau construirea unei locuinte proprii, datorita terenului si frontului generos. Terenul total de care dispune proprietatea este in suprafata de 740mp, iar frontul la strada este de 26m. Indicii urbanistici sunt: - UTR: LIP - POT max : 35% - CUT max : 0,9% - Regimul maxim de inaltime: (S)+P+1+M, (S) +P+1+R, D+P+M, D+P+R cu inaltimea maxima admisa 12m. Pentru mai multe detalii sau programarea unei vizionari, nu ezitati sa ne contactati! Garantam castigul reciproc! [ ID Proprietate: P12024 ]
Citește mai mult Citește mai puțin

Detalii spațiu comercial

ID anunț: 3253409 Actualizat în: 20 Aprilie 2026
Regim înălțime: P+1E

Istoric preț

Puncte de interes

Mijloace transport
transport
Maramuresului
Mijloace transport aprox. 52 m
transport
Senina Nord
Mijloace transport aprox. 97 m
transport
Statia Senina, Linia 39
Mijloace transport aprox. 112 m
transport
Senina Sud
Mijloace transport aprox. 120 m
Școală
education
Scoala generala nr. 7 / Emil Isac
Învățământ aprox. 231 m
education
Scoala Generala si Liceul Waldorf
Învățământ aprox. 292 m
education
Colegiul Naţional George Bariţiu
Învățământ aprox. 315 m
education
Grăd.Neghiniţă
Învățământ aprox. 444 m
Recreere
parks
Teren sportiv
Recreere aprox. 231 m
restaurants
Bar
Restaurante aprox. 742 m
shopping
Oncos
Supermarket/Mall aprox. 896 m
shopping
La Doi Pasi
Supermarket/Mall aprox. 1096 m

Proprietăți similare

Spațiu comercial, în Dâmbul Rotund
330.000 € / lună
Cluj-Napoca, Dâmbul Rotund
873 mp teren
2E
Spațiu comercial, în Dâmbul Rotund
329.120 € / lună
Cluj-Napoca, Dâmbul Rotund
748 mp teren
Spațiu comercial, în Mănăștur
355.000 € / lună
Cluj-Napoca, Mănăștur
552 mp teren
1E
Spațiu comercial, în Mănăștur
384.000 € / lună
Cluj-Napoca, Mănăștur
552 mp teren
1E
Spațiu comercial, în Europa
365.000 € / lună
Cluj-Napoca, Europa
400 mp teren
Spațiu comercial, în Făget
369.000 € / lună
Cluj-Napoca, Făget
850 mp teren
Spațiu comercial, în Gruia
365.000 € / lună
Cluj-Napoca, Gruia
461 mp teren
1E
Spațiu comercial, în Borhanci
330.000 € / lună
Cluj-Napoca, Borhanci
4.100 mp teren
Spațiu comercial, în Sopor
388.500 € / lună
Cluj-Napoca, Sopor
11.100 mp teren

Abonează-te la newsletter să fii primul care primește cele mai noi recomandări de proprietăți și sfaturi de la experți.