Pntelimon - dn3 , km. 12

80.000 €
80 € / mp

Pantelimon, Judeţul Ilfov

Suprafață teren:
1.000 mp
Tip teren:
Pășune

Descriere teren

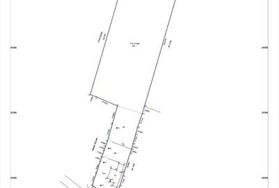
Intravilan construibil 1000mp / 20m deschidere la strada, utilitati : gaze , curent electric , canalizare ,apa. Lotul se afla intre case , imprejmuit, aproape padure , coada lacului, cca. 5min. pina la selgros , si 10 min. pina la Cora si STB.
Citește mai mult Citește mai puțin

Detalii teren

ID anunț: 3682826 Actualizat în: 12 Martie 2026
Suprafață teren: 1.000 mp
Tip teren: Pășune
Clasificare teren: Intravilan
Front stradal: 20 m

Istoric preț

Puncte de interes

Mijloace transport
transport
Pasarea
Mijloace transport aprox. 1683 m
Recreere
restaurants
Ro & La.
Restaurante aprox. 1639 m

Proprietăți similare

Teren intravilan de 1660 mp, în Central
79.000 €
Județul Ilfov, Buftea
1.660 mp teren
Teren în Moara Vlăsiei
82.000 €
Județul Ilfov, Moara Vlăsiei
Teren de 825 mp, în Balotești
82.500 €
Județul Ilfov, Balotești
825 mp teren
Teren intravilan de 618 mp, în Berceni
79.000 €
Județul Ilfov, Berceni
618 mp teren
Pășune
Teren intravilan de 1000 mp, în Bragadiru
85.000 €
Județul Ilfov, Bragadiru
1.000 mp teren
Teren intravilan de 5591 mp, în Gruiu
85.000 €
Județul Ilfov, Gruiu
5.591 mp teren
Livadă
Teren intravilan de 2475 mp, în Periș
79.000 €
Județul Ilfov, Periș
2.475 mp teren
Teren de 1133 mp, în Afumați
80.000 €
Județul Ilfov, Afumați
1.133 mp teren
Teren de 320 mp, în Roșu
75.000 €
Județul Ilfov, Roșu
320 mp teren

Abonează-te la newsletter să fii primul care primește cele mai noi recomandări de proprietăți și sfaturi de la experți.