Teren de 585 mp, în Adunații-Copăceni

40.000 €
68.38 € / mp

Adunaţii-Copăceni, Judeţul Giurgiu

Suprafață teren:
585 mp

Descriere teren

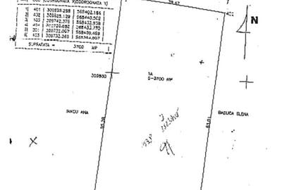
Descoperiti oportunitatea ideala pentru investitie sau dezvoltare in zona 1 Decembrie, Ilfov, situata in proximitatea Bucurestiului, in Complexul Rezidential Green City. Sunt 2 terenuri de vanzare, unul cu suprafata de 585 mp, iar celalalt de 592mp, cu posibilitatea de extindere pana la 1177 mp, adica vandute impreuna, sau pot fi dezmembrate in 4 loturi. Deschiderea unui teren este de 20 metri liniari, asigurand acces facil si versatilitate in amenajare, este intravilan si construibil, perfect pentru proiecte rezidentiale sau comerciale. Pretul de vanzare al unui lot este 40000 la care se adauga TVA ., iar ambele se vand la pretul de 75000e TVA. Terenul are un amplasament strategic in Ilfov, aproape de Bucuresti si acces facil la infrastructura, amplasare excelenta pentru proiecte rezidentiale, comerciale sau mixte. Pentru mai multe detalii si pentru a programa o vizionare, nu ezitati sa ne contactati. Comisionul agentiei este 3%. Echipa noastra este pregatita sa va asiste in realizarea celor mai bune decizii imobiliare!
Citește mai mult Citește mai puțin

Detalii teren

ID anunț: 3832159 Actualizat în: 13 Martie 2026
Suprafață teren: 585 mp

Istoric preț

Puncte de interes

Școală
education
GreenCity kindergarden (en)
Învățământ aprox. 261 m
education
scoala 305 (veche)
Învățământ aprox. 747 m
education
scoala 305 (noua)
Învățământ aprox. 977 m
Recreere
restaurants
Renaissance Restaurant GreenCity (en)
Restaurante aprox. 38 m
parks
Parc
Recreere aprox. 97 m
parks
Parc
Recreere aprox. 132 m
shopping
Mega Image - Green City
Supermarket/Mall aprox. 396 m

Proprietăți similare

Teren de 382 mp, în Joița
43.000 €
Județul Giurgiu, Joița
382 mp teren
Teren intravilan de 7100 mp, în Gorneni
42.600 €
Județul Giurgiu, Gorneni
7.100 mp teren
Livadă
Teren de 7500 mp, în Gostinari
37.500 €
Județul Giurgiu, Gostinari
7.500 mp teren
Teren de 420 mp, în Vărăști
36.120 €
Județul Giurgiu, Vărăști
420 mp teren
Teren de 1000 mp, în Săbăreni
38.000 €
Județul Giurgiu, Săbăreni
1.000 mp teren
Teren de 2000 mp, în Bolintin-Deal
40.000 €
Județul Giurgiu, Bolintin-Deal
2.000 mp teren
Teren de 7100 mp, în Iepurești
42.600 €
Județul Giurgiu, Iepurești
7.100 mp teren
Teren de 850 mp, în Mihăilești
40.000 €
Județul Giurgiu, Mihăilești
850 mp teren
Teren intravilan de 700 mp, în Săbăreni
42.000 €
Județul Giurgiu, Săbăreni
700 mp teren
Livadă

Abonează-te la newsletter să fii primul care primește cele mai noi recomandări de proprietăți și sfaturi de la experți.