Teren intravilan cartier 9 Mai Tulcea - 1.187 m.p.

125.000 €
105.31 € / mp

Vest, Tulcea

Suprafață teren:
1.187 mp
Front stradal:
73 m
Tip teren:
Construcții
Clasificare teren:
Intravilan

Descriere teren

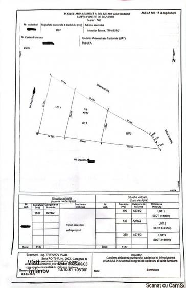
Vă propunem spre vânzare un teren intravilan situat în zona 9 Mai –Tulcea, cu o suprafață totală de 1.187 mp și o deschidere de 72,94 ml, potrivit pentru investiție sau dezvoltare rezidențială. Terenul beneficiază de utilități în apropiere și acces facil, fiind amplasat în imediata vecinătate a unui ansamblu de locuințe moderne aflat în construcție. În spatele terenului se construiește – este aproape finalizat - un ansamblu rezidențial de 7 case moderne cu regim de înălțime P+1 cu acoperiș tip terasă. Conform Certificatului de Urbanism emis de Primăria Tulcea, terenul este intravilan, situat în subzona Pp (perdele de protecție și recreere), cu posibilitatea autorizării construcțiilor prin PUZ/PUD. Zona este liniștită, în plină dezvoltare, ideală pentru investiție pe termen mediu. De asemenea, pentru teren există o propunere de parcelare avizată de O.C.P.I. Tulcea, loturile având deschideri bune Detalii tehnice: • Lot 1 – 437 mp – deschidere 21,20 ml • Lot 2 – 400 mp – deschidere 14,75 ml • Lot 3 – 350 mp – deschidere 27,18 ml Detalii: • Suprafață totală: 1.187 mp (posibilitate parcelare în 3 loturi) • Acces: drum public • Utilități: curent, apă, gaz în apropiere • Regim urbanistic: intravilan. • Acte: proprietate clară, certificat de urbanism emis 2025 • Preț: 125.000 € Teren potrivit pentru dezvoltatori, investitori sau persoane fizice care doresc o investiție sigură într-o zonă cu potențial de creștere rapidă.
Citește mai mult Citește mai puțin
ID anunț: Actualizat în: 13 Martie 2026

Facilități

Facilități
Utilități în zonă
Comision
0%

Puncte de interes

Școală
education
Gradinita
Învățământ aprox. 1662 m
education
Grup Scolar Anghel Saligny
Învățământ aprox. 1709 m
education
Colegiul ANGHEL SALIGNY
Învățământ aprox. 1735 m
Recreere
shopping
LIDAS
Supermarket/Mall aprox. 1780 m
parks
Parc
Recreere aprox. 1794 m
restaurants
Restaurant Ciuperca
Restaurante aprox. 1824 m
shopping
SC Cormar SRL
Supermarket/Mall aprox. 1847 m

Proprietăți similare

Teren Construcții de 1496 mp, în Peco
127.000 €
Tulcea, Peco
1.496 mp teren
Construcții
Teren Construcții intravilan de 4625 mp, în Cataloi
115.625 €
Județul Tulcea, Cataloi
4.625 mp teren
Construcții
Teren Construcții intravilan de 2000 mp, în Crișan
133.000 €
Județul Tulcea, Crișan
2.000 mp teren
Construcții

Abonează-te la newsletter să fii primul care primește cele mai noi recomandări de proprietăți și sfaturi de la experți.