Teren 1387 mp cu front 27 ml, liber de construcții, zona Uranus - Piața de Flori

2.080.500 €
1,500.00 € / mp

Unirii, Bucureşti

Suprafață teren:
1.387 mp
Tip teren:
Construcții

Descriere teren

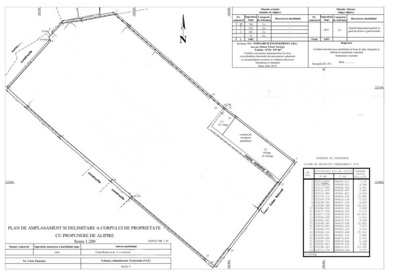
Dacă analizezi următorul proiect în București, merită să te uiți atent la acest teren! Îți propun spre achiziție un teren cu suprafață totală rezultată de 1387 mp, liber de construcții, poziționat pe Calea Rahovei, în imediata apropiere a Pieței de Flori, zonă cu trafic constant și vizibilitate foarte bună. Pe lângă terenul deținut, de 1.387 mp, parcela se poate completa prin achiziția suplimentară a celor 102 mp, pentru o diferență de 204.000 euro. De asemenea, există posibilitatea achiziționării separate a lotului învecinat de 475 mp. Conform Certificatului de Urbanism, terenul este încadrat în subzona M3 – zonă mixtă. Pentru valorificarea terenului este necesară inițierea unui PUZ, oferindu-ți posibilitatea de a configura proiectul în funcție de propria strategie. Asta înseamnă că proiectul poate fi scalat și optimizat din punct de vedere urbanistic. Zona permite dezvoltare rezidențială cu funcțiuni complementare la parter (spații comerciale / servicii), adresată segmentului mediu – o nișă care se vinde constant în București. Într-o piață în care terenurile mari din interiorul orașului devin tot mai rare, această poziție oferă flexibilitate și potențial real de dezvoltare!
Citește mai mult Citește mai puțin
Electricitate Apă Gaz Canalizare

Detalii teren

ID anunț: 3497374 Actualizat în: 11 Martie 2026
Suprafață teren: 1.387 mp
Tip teren: Construcții
Clasificare teren: Intravilan

Istoric preț

Facilități

Utilități
Curent Apă Canalizare Gaze
Amenajare străzi
Asfaltate Mijloace de transport în comun
Alte caracteristici
Oportunitate de investiție Acces auto

Puncte de interes

Mijloace transport
transport
Statia Piata Chirigiu, linia 173, N114, 117, 23, 32
Mijloace transport aprox. 314 m
transport
Statia Soseaua Viilor, linia 117
Mijloace transport aprox. 395 m
transport
Piata Chirigiu
Mijloace transport aprox. 406 m
transport
Statie Tramvai 32, 23
Mijloace transport aprox. 411 m
Școală
education
Academia Tehnica Militara
Învățământ aprox. 270 m
education
Casa Academiei
Învățământ aprox. 305 m
education
Gradinita Cuibusorul Zanelor
Învățământ aprox. 401 m
education
ŞCOALA CU CLASELE I-VIII NR. 128
Învățământ aprox. 422 m
Recreere
restaurants
Musafir (en)
Restaurante aprox. 102 m
parks
Gradina Palatului Bragadiru
Recreere aprox. 288 m
shopping
Profi Non-Stop
Supermarket/Mall aprox. 437 m
shopping
Mega Image
Supermarket/Mall aprox. 583 m

Proprietăți similare

Teren Construcții intravilan de 1387 mp, în Unirii
2.000.000 €
București, Unirii
1.387 mp teren
Construcții
Teren Construcții intravilan de 1410 mp, în Unirii
2.250.000 €
București, Unirii
1.410 mp teren
Construcții
Teren Construcții intravilan de 3000 mp, în Mihai Bravu
2.000.000 € + TVA
București, Mihai Bravu
3.000 mp teren
Construcții
Teren Construcții intravilan de 11923 mp, în Industriilor
2.000.000 € + TVA
București, Industriilor
11.923 mp teren
Construcții
Teren Construcții intravilan de 1240 mp, în Cotroceni
1.984.000 €
București, Cotroceni
1.240 mp teren
Construcții
Teren Construcții intravilan de 6500 mp, în Berceni
1.917.500 €
București, Berceni
6.500 mp teren
Construcții
Teren Construcții intravilan de 3654 mp, în Gara de Nord
2.200.000 € + TVA
București, Gara de Nord
3.654 mp teren
Construcții
Teren Construcții intravilan de 1155 mp, în Aviației
2.200.000 €
București, Aviației
1.155 mp teren
Construcții
Teren Construcții intravilan de 2457 mp, în Drumul Taberei
1.880.000 €
București, Drumul Taberei
2.457 mp teren
Construcții

Abonează-te la newsletter să fii primul care primește cele mai noi recomandări de proprietăți și sfaturi de la experți.