Timisoara Nord - Sanandrei - Lot industrial: 7923 mp - P.U.Z. - utilitati

€ 595.000
75.10 € / mp

Sânandrei, Judeţul Timiş

Suprafață teren:
7.923 mp

Descriere

Raportează anunț

Timisoara Nord - Sanandrei - Lot industrial: 7923 mp - P.U.Z. - utilitati

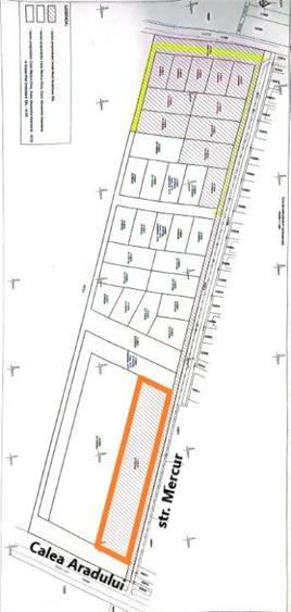
Sanandrei, situat în județul Timiș, România, este un hub industrial în creștere, cu oportunități ample pentru afaceri. Localitatea este localizata in zona metropolitana a municipiului Timisoara, la 5 km Nord de aceasta, cu acces ușor la autostrăzile majore, ceea ce îl face o alegere ideală pentru investitorii care doresc să își stabilească prezența în regiune. Loturile industriale din Sanandrei sunt spațioase, oferind spațiu amplu pentru extindere și creștere. Localitatea are, de asemenea, o forță de muncă calificată și un mediu de afaceri favorabil, oferind o bază solidă pentru companiile dintr-o varietate de industrii. Cu condițiile sale favorabile de afaceri și opțiunile imobiliare accesibile, Sanandrei este o alegere excelentă pentru companiile care doresc să investească în Timis. IM Imobiliare ofera spre vanzare parcele de teren industrial, cu P.U.Z., situat in Sanandrei, invecinate cu noua descarcare urcare/coborare de pe A1 (drum in lucru), Centura Nord Timisoara, Aeroport Timisoara, Ikea (7 km); Mahle (4km); Sameday (4km), Banat Business Park (500 m) - 4 parcele industriale: 5810 mp, 6182 mp, 6411 mp si 7923 mp - spatiu verde: 2549 mp - acces auto asfaltat de pe DN69 Timisoara - Arad Coeficienti urbanistici: - P.O.T. max - 55% - C.U.T max - 2% - destinatiile permise sunt industria usoara curata, logistica, depozitare, servicii, retail, birouri, unitati administrative; - utilitati complete la limita parcelei (gaz, curent, apa) Front stradal DN69 Timisoara - Arad: 98 ml Pret plecare: 50 EURO/mp Pretul afisat variaza in functie de pozitia parcelei alese. Mai multe informatii, la cerere: Raul -
0720.**** Vezi tot numărul
Citește mai mult Citește mai puțin
ID anunț: 178102 Actualizat în: 11 Septembrie 2025
Suprafață teren: 7.923 mp
Front stradal: 236 m

Istoric preț

Utilități

Utilități
Apă Gaze

Proprietăți similare

Teren Construcții de 10000 mp, în Sânandrei
€ 540.000
Județul Timiș, Sânandrei
10.000 mp teren
Teren Construcții intravilan de 7146 mp, în Giroc
€ 607.410
Județul Timiș, Giroc
7.146 mp teren
Construcții
Teren Construcții intravilan de 7387 mp, în Șagului
€ 554.000
Timișoara, Șagului
7.387 mp teren
Construcții
Teren Construcții de 3164 mp, în Torontalului
€ 632.800
Timișoara, Torontalului
3.164 mp teren
Teren Construcții de 10226 mp, în Chișoda
€ 549.990
Județul Timiș, Chișoda
10.226 mp teren
Teren Construcții intravilan de 5012 mp, în Dumbrăvița
€ 551.000
Județul Timiș, Dumbrăvița
5.012 mp teren
Construcții
Teren Construcții intravilan de 1996 mp, în Fabric
€ 638.000
Timișoara, Fabric
1.996 mp teren
Construcții
Teren Construcții intravilan de 16197 mp, în Aradului
€ 567.000
Timișoara, Aradului
16.197 mp teren
Construcții
Teren Construcții intravilan de 2919 mp, în Braytim
€ 648.018
Timișoara, Braytim
2.919 mp teren
Construcții

Abonează-te la newsletter să fii primul care primește cele mai noi recomandări de proprietăți și sfaturi de la experți.