Lot teren 80000 mp Otopeni Sud Est dezvoltare sau lotizare

9.969.500 €
125 € / mp

Otopeni, Judeţul Ilfov

Suprafață teren:
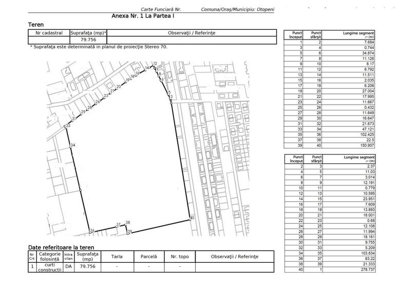
79.756 mp
Tip teren:
Construcții

Descriere teren

GOPO Real Estate va propune spre vanzare un teren cu o suprafata de 79756 mp pozitionat in Otopeni, in partea de Sud - Est a orasului, iar conform PUG Otopeni se regaseste la limita zonei rezidentiale, in perimetrul zonei cu caracter central si servicii. Aceasta coincide în mare măsură cu traseele importante de circulație ale orașului si se situeaza în cea mai mare parte în interiorul limitelor actualului intravilan si conține marea majoritate a clădirilor importante ale Orașului. Valoarea deosebită datorată importanței “locului central” de amplasare necesită o atentă reglementare care să permită o dezvoltare armonioasă și care să se constituie într-o sursă importantă de venituri pentru locuitori și pentru bugetul local. Pentru a estima potentialul real de valorificare si dezvoltare al terenului, acesta necesita executarea documentatiei PUZ, iar in functie de destinatia aleasa se pot contura variante de dezvoltare ale proiectului propus sau lotizare si revanzare. Proprietar persoana juridica, fara activitate - vanzarea se face prin preluarea firmei. Pretul este negociabil, iar pentru detalii sau programarea unei vizionari va stau la dispozitie.
Citește mai mult Citește mai puțin
Electricitate Apă Canalizare

Detalii teren

ID anunț: 115194 Actualizat în: 17 Februarie 2026
Suprafață teren: 79.756 mp
Tip teren: Construcții
Clasificare teren: Intravilan
Front stradal: 100 m

Istoric preț

Facilități

Utilități
Curent Apă Canalizare
Amenajare străzi
Iluminat stradal Mijloace de transport în comun Asfaltate

Puncte de interes

Mijloace transport
transport
Aeroportul International Henri Coanda (OTP)
Mijloace transport aprox. 1789 m
transport
Aeroportul Internaţional Henri Coandă Bucureşti (Otopeni)
Mijloace transport aprox. 1879 m
transport
Gara Otopeni
Mijloace transport aprox. 1995 m
Școală
education
Gradinita numarul 1
Învățământ aprox. 1544 m
Recreere
shopping
Mega Image Otopeni-Tunari
Supermarket/Mall aprox. 303 m
parks
Teren sportiv
Recreere aprox. 1629 m
parks
La Tarcuri
Recreere aprox. 1985 m
parks
Rond Primaria Otopeni
Recreere aprox. 1999 m

Proprietăți similare

Teren Construcții intravilan de 80000 mp, în Central
9.500.000 €
Județul Ilfov, Otopeni
80.000 mp teren
Construcții
Teren Construcții intravilan de 89000 mp, în Est
10.680.000 €
Județul Ilfov, Otopeni
89.000 mp teren
Construcții
Teren Construcții intravilan de 80084 mp, în Central
9.800.000 €
Județul Ilfov, Otopeni
80.084 mp teren
Construcții
Teren Construcții intravilan de 450000 mp, în Corbeanca
9.900.000 €
Județul Ilfov, Corbeanca
450.000 mp teren
Construcții
Teren Construcții de 450000 mp, în Corbeanca
9.500.000 €
Județul Ilfov, Corbeanca
450.000 mp teren
Construcții
Teren Construcții intravilan de 600000 mp, în Ciorogârla
9.000.000 € + TVA
Județul Ilfov, Ciorogârla
600.000 mp teren
Construcții
Teren Construcții intravilan de 76844 mp, în Central
9.605.500 €
Județul Ilfov, Popești-Leordeni
76.844 mp teren
Construcții
Teren Construcții intravilan de 270000 mp, în Exterior Est
10.530.000 € + TVA
Județul Ilfov, Popești-Leordeni
270.000 mp teren
Construcții

Abonează-te la newsletter să fii primul care primește cele mai noi recomandări de proprietăți și sfaturi de la experți.