Teren intravilan, 2 parcele, 815 mp, utilitati, Preajba - zona Smart Pub

55.000 €
67.48 € / mp

Malu Mare, Judeţul Dolj

Suprafață teren:
815 mp
Tip teren:
Construcții

Descriere teren

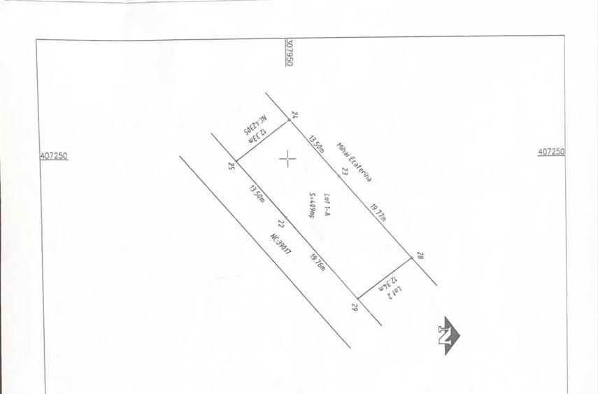
0% Comision pentru cumparator! Va oferim un teren intravilan situat in comuna Malu Mare, sat Preajba, zona Aleea 3 Bechetului (Tarlaua 28, parcelele 18 si 19). Proprietatea este compusa din doua parcele alaturate, cu o suprafata totala de 815 mp (409 mp + 406 mp), ideale pentru constructia unei locuinte sau investitie. Parcela 1 beneficiaza de o deschidere de 33,26 ml si o latime de 12,34 ml, iar parcela 2 are o deschidere de 33,04 ml si o latime de 12,33 ml, oferind un front stradal generos. Terenul este situat la aproximativ 75 m de strada si beneficiaza de drum de acces cu latime de 7 m, iar strada urmeaza sa fie asfaltata in curand, ceea ce creste atractivitatea si valoarea proprietatii. Utilitatile sunt disponibile in zona: curent electric, apa, canalizare, precum si proiect de gaze aprobat. Parcelele sunt neimprejmuite si sunt amplasate intr-o zona linistita, in plina dezvoltare, la doar cateva minute de mers cu masina de Smart Pub si Wolcar. Ideal pentru constructie casa individuala sau duplex. Pretul terenului (ambele parcele) este de 55000 Euro, negociabil. Pentru mai multe informatii sau pentru a programa o vizionare, nu ezitati sa ma contactati!
Citește mai mult Citește mai puțin
Electricitate Apă Canalizare

Detalii teren

ID anunț: 3885983 Actualizat în: 23 Martie 2026
Suprafață teren: 815 mp
Tip teren: Construcții
Clasificare teren: Intravilan

Istoric preț

Facilități

Utilități
Curent Apă Canalizare
Amenajare străzi
Neamenajate
Alte caracteristici
Acces auto

Proprietăți similare

Teren Construcții intravilan de 1469 mp, în Malu Mare
58.760 €
Județul Dolj, Malu Mare
1.469 mp teren
Construcții
Teren Construcții intravilan de 466 mp, în Lascăr Catargiu
50.000 €
Craiova, Lascăr Catargiu
466 mp teren
Construcții
Teren Construcții intravilan de 800 mp, în Ghercești
50.000 €
Județul Dolj, Ghercești
800 mp teren
Construcții
Teren Construcții intravilan de 435 mp, în Preajba
52.200 €
Județul Dolj, Preajba
435 mp teren
Construcții
Teren Construcții intravilan de 422 mp, în Preajba
50.640 €
Județul Dolj, Preajba
422 mp teren
Construcții
Teren Construcții intravilan de 1643 mp, în Exterior Vest
57.000 €
Craiova, Exterior Vest
1.643 mp teren
Construcții
Teren Construcții intravilan de 1000 mp, în Leamna de Jos
50.000 €
Județul Dolj, Leamna de Jos
1.000 mp teren
Construcții
Teren Construcții intravilan de 435 mp, în Preajba
52.200 €
Județul Dolj, Preajba
435 mp teren
Construcții
Teren Construcții intravilan de 538 mp, în Sud
53.800 €
Craiova, Sud
538 mp teren
Construcții

Abonează-te la newsletter să fii primul care primește cele mai noi recomandări de proprietăți și sfaturi de la experți.