Teren intravilan, 538 mp, pretabil investitie, zona Braniste

53.800 €
100 € / mp

Sud, Craiova

Suprafață teren:
538 mp
Tip teren:
Construcții

Descriere teren

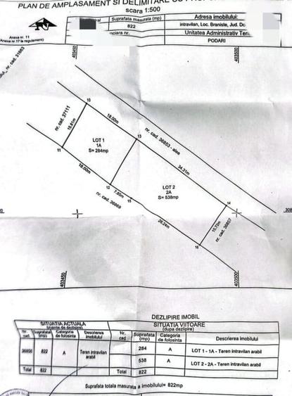
BLITZ ofera spre vanzare teren intravilan in suprafata totala de 538 mp situat in localitatea Braniste aproape de drumul european Calafat. Terenul are o lungime(deschiderea) de 34ml si o latime de 16 ml. Accesul la teren se face pe o alee privata de 7 ml, la o distanta de 50 ml de drumul european. Sunt disponibile toate utilitatiile la strada, respectiv 80 ml distanta de teren. Deasemenea daca se doreste mai mult teren, langa aceasta parcela mai este cf. schitei inca o parcela de 284 mp care si aceea este disponibila. Va asteptam cu mai multe detalii la vizionare! Cod oferta / ID BLITZ: P144699
Citește mai mult Citește mai puțin
Electricitate Apă Gaz Canalizare

Detalii teren

ID anunț: 3783041 Actualizat în: 10 Martie 2026
Suprafață teren: 538 mp
Tip teren: Construcții
Clasificare teren: Intravilan
Front stradal: 34 m

Istoric preț

Facilități

Utilități
Curent Apă Canalizare Gaze
Amenajare străzi
Neamenajate Mijloace de transport în comun
Alte caracteristici
Oportunitate de investiție Acces auto Teren împrejmuit

Puncte de interes

Mijloace transport
transport
Braniste
Mijloace transport aprox. 497 m
transport
Balta Verde
Mijloace transport aprox. 932 m
transport
Aeroclubul Balta-Verde
Mijloace transport aprox. 1597 m
transport
Potelu
Mijloace transport aprox. 1873 m
Recreere
parks
Parc
Recreere aprox. 483 m
restaurants
Flormang Craiova
Restaurante aprox. 1631 m
restaurants
Restaurant Perla
Restaurante aprox. 1659 m
restaurants
Dream On Pub
Restaurante aprox. 1817 m

Proprietăți similare

Teren Construcții intravilan de 466 mp, în Lascăr Catargiu
50.000 €
Craiova, Lascăr Catargiu
466 mp teren
Construcții
Teren Construcții intravilan de 500 mp, în Ghercești
51.000 €
Craiova, Ghercești
500 mp teren
Construcții
Teren Construcții intravilan de 2038 mp, în Ghercești
49.999 €
Craiova, Ghercești
2.038 mp teren
Construcții
Teren Construcții intravilan de 2142 mp, în Exterior Sud
48.900 €
Craiova, Exterior Sud
2.142 mp teren
Construcții
Teren Construcții intravilan de 500 mp, în Ghercești
48.500 €
Craiova, Ghercești
500 mp teren
Construcții
Teren Construcții intravilan de 2223 mp, în Exterior Est
48.906 €
Craiova, Exterior Est
2.223 mp teren
Construcții
Teren Construcții intravilan de 1331 mp, în Exterior Nord
55.000 €
Craiova, Exterior Nord
1.331 mp teren
Construcții
Teren Construcții intravilan de 310 mp, în Exterior Est
50.000 €
Craiova, Exterior Est
310 mp teren
Construcții
Teren Construcții intravilan de 1643 mp, în Exterior Vest
57.000 €
Craiova, Exterior Vest
1.643 mp teren
Construcții

Abonează-te la newsletter să fii primul care primește cele mai noi recomandări de proprietăți și sfaturi de la experți.