
3 luni în urmă
2
- Agenție
Win Imobiliare
140.000 €
Actualizat pe: 15 Sep 2025
-
Scoala
aprox. 330 m -
Scoala Gheorgheni (hu)
aprox. 349 m -
Gradinita
aprox. 350 m
-
Farmacie
aprox. 159 m
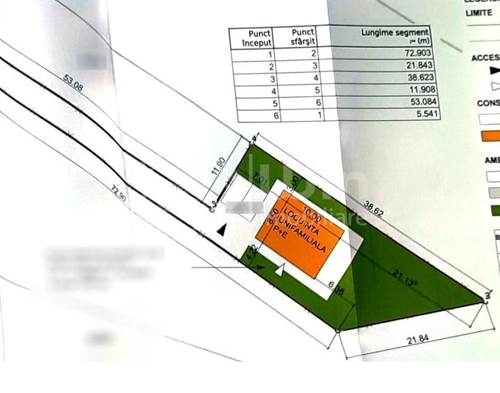
Teren intravilan 1400mp ideal pentru casa in Sat. Gheorghieni!
140.000 €
Gheorghieni, Județul Cluj
Descriere
Raportează anunț
Sesizează o problemă
Teren intravilan 1400mp ideal pentru casa in Sat. Gheorghieni!
Teren intravilan 1400mp ideal pentru casa in Sat. Gheorghieni!
Va oferim spre vanzare teren intravilan cu suprafata totala de 1400 mp (alcatuit de 2 parcele de 700mp) amplasat in satul Gheorghieni (comuna Feleacu) intr-o locatie retrasa de la strada, cu acces in cca. 7 minute din cartierul Borhanci. Terenul dispune de front la strada de 12 ml.
Terenul prezinta urmatorii indici urbanistici:
- POT: 30%
- CUT: 0.60
- Inaltime maxima: 9 m, regim inaltime: D+P+1 sau D+P+M.
Utilitatile de care dispune sunt: curent si gaz, iar canalizarea si apa de la retea sunt in curs de executie.
Terenul este eligibil pentru constructia unei case unifamiliale sau duplex.
Locatia este din ce in ce mai cautata, fiind retrasa de la aglomeratia orasului, dar totodata avand acces rapid spre oras, in zona existand scoala, biserica, magazine etc.
Pentru detalii complete, contactati-ne chiar acum! Garantam castigul reciproc!
ID [P10371]
Citește mai mult
Citește mai puțin
ID anunț: 2281777
Actualizat în: 15 Septembrie 2025
Suprafață teren:
1.400 mp
Front stradal:
12 m
Istoric preț
Utilități
Utilități
Apă
Gaze
Canalizare
Proprietăți similare
Abonează-te la newsletter să fii primul care primește cele mai noi recomandări de proprietăți și sfaturi de la experți.
Căutări similare
- Terenuri construcții de vânzare în Gheorghieni
- Terenuri construcții de vânzare în Cluj-Napoca
- Terenuri construcții de vânzare în Chinteni
- Terenuri construcții de vânzare în Florești
- Terenuri construcții de vânzare în Feleacu
- Terenuri construcții de vânzare în Dezmir
- Terenuri construcții de vânzare în Sălicea
- Terenuri construcții de vânzare în Popești
- Terenuri construcții de vânzare în Gilău
- Terenuri construcții de vânzare în Apahida
- Terenuri construcții de vânzare în Baciu
- Terenuri construcții de vânzare în Mărișel