3 luni în urmă
7
- Agenție
Intravilan 3,61ha pentru parc fotovotaic , poligon industrial ,etc
195.000 €
/ lună
Prețul este preluat din anunțul original și poate include sau nu TVA. Verificați cu vânzătorul.
5.40 €
/ mp
/ lună
Braniştea, Judeţul Dâmboviţa
Descriere spațiu comercial
Sesizează o problemă
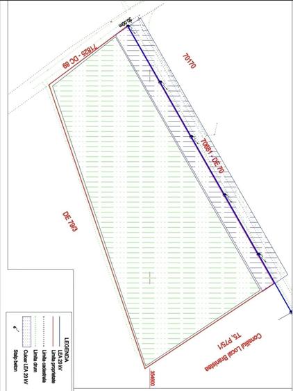
Vand teren intravilan 3,61ha pretabil parc fotovoltaic cu baterii de stocare situat in localitatea Branistea jud Dambovita la 50km distanta de Bucuresti. Este situat pe drumul care face legatura intre Bucuresti si Targoviste.. Terenul este pozitionat la drum asfaltat... A fost obtinut ATR in 2024 pentru 3MW cu toate avizele, inclusiv Autorizatie de Construire . Din anumite motive personale n-am continuat construirea parcului iar ATR ul a fost anulat... Se poate obtine un nou ATR in aproximativ 4-6 luni.. Terenul este ideal pentru fotovoltaice, stalp de racordare chiar pe latura nordica.. Costurile de Racordare au fost 30.000 pe care eu i-am si platit (se poate vedea in contabilitate)dar nu-i mai pot recupera. Terenul este achizitionat pe societate special infiintata in anul 2022 cod CAEN 3511 productia si comercializarea energie electrice . Se pot recupera din momentul inceperii productiei si comercializarii energiei electrice peste 200.000 , bani investiti de societate in achizitionarea terenului,plata Studiului de Solutie, plata tuturor avizelor si taxelor necesare pt obtinerea Autorizatiei de Costruire. Toate cheltuielile sunt contabilizate.. Se vinde SOCIETATEA cu tot ce detine daca cineva doreste sa reia etapele in vederea obtinerii unui nou ATR ... Se vinde terenul separat daca cineva doreste sa construiasca altceva in afara de fotovoltaicele.. Societatea este la zi cu Contabilitatea si nu s au efectuat alte activitati comerciale. Am experienta , cunosc toate etapele necesare , pot recomanda consultatii potriviti, seriosi pentru studiul de solutie.. Pretul terenului este de 195.000EURO usor negociabil... Va rog sa cititi cu atentie pentru ca eu nu vand un parc fotovoltaic, vand un teren pretabil pentru asa ceva, vand un teren pentru care a fost obtinut de mine un ATR ,plus AC dar din anumite motive personale nu l-am construit si a expirat ATR ul.. Trebuie sa se reia de la zero toate etapele pentru obtinerea unui nou ATR dar lucrurile vor merge mult mai repede mai ales daca se va face cu acelasi consultant Studiul de Solutie..
Citește mai mult
Citește mai puțin
Zonă rurală
Actualizat în: 17 Mai 2026
ID anunț: 1394467
Istoric preț
Proprietăți similare
Abonează-te la newsletter să fii primul care primește cele mai noi recomandări de proprietăți și sfaturi de la experți.
Căutări similare
- Spații comerciale de închiriat în Braniștea
- Spații comerciale de închiriat în Târgoviște
- Spații comerciale de închiriat în Crevedia
- Spații comerciale de închiriat în Titu
- Spații comerciale de închiriat în Aninoasa
- Spații comerciale de închiriat în Pucioasa
- Spații comerciale de închiriat în Găești
- Spații comerciale de închiriat în Priseaca
- Spații comerciale de închiriat în Viforâta
- Spații comerciale de închiriat în Tărtășești
- Spații comerciale de închiriat în Cocani
- Spații comerciale de închiriat în Răzvad