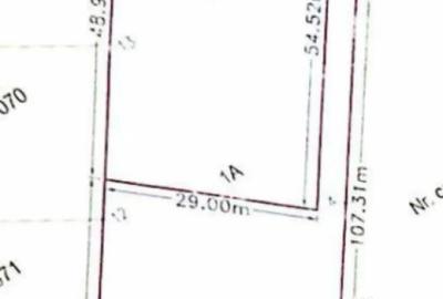
Teren intravilan 386 mp - Unirea

40.000 €

Unirea, Judeţul Bistriţa Năsăud

Descriere teren

Cauti teren in Unirea pentru a-ti dezvolta afacerea? GFT Delta Office are solutia perfecta pentru tine! Teren intravilan zona mixta M1a Ideal pentru locuinta + business, intr-o zona accesibila si in dezvoltare. Toate utilitatile disponibile Drum asfaltat Posibilitate constructie: casa + spatiu comercial (P+2) BONUS EXCLUSIV: Primesti la pachet un apartament complet mobilat si utilat, cu curte privata, situat chiar la limita terenului! Avantaj unic: 2 in 1 Locuiesti aproape de afacerea ta Economisesti timp si bani nvestitie inteligenta pe termen lung Suna acum: Nu rata aceasta oportunitate!
Citește mai mult Citește mai puțin
ID anunț: 4112745 Actualizat în: 08 Aprilie 2026

Istoric preț

Puncte de interes

Mijloace transport
transport
Aerodromul Bistrita
Mijloace transport aprox. 1699 m
Recreere
restaurants
Romance
Restaurante aprox. 1389 m
shopping
Kaufland
Supermarket/Mall aprox. 1931 m

Proprietăți similare

Teren de 800 mp, în Unirea
39.000 €
Județul Bistrița Năsăud, Unirea
Teren de 5300 mp, în Arcalia
39.000 €
Județul Bistrița Năsăud, Arcalia
5.300 mp teren
Teren de 500 mp, în Exterior Vest
36.000 €
Bistrița, Exterior Vest
500 mp teren
Teren în Central
42.900 €
Bistrița, Central
Teren de 715 mp, în Central
41.000 €
Bistrița, Central
715 mp teren
Teren de 2000 mp, în Central
36.000 €
Bistrița, Central
2.000 mp teren
Teren de 1600 mp, în Jelna
41.400 €
Județul Bistrița Năsăud, Jelna
1.600 mp teren
Teren de 405 mp, în Central
41.999 €
Județul Bistrița Năsăud, Beclean
405 mp teren
Teren de 1400 mp, în Centura
39.900 €
Bistrița, Centura
1.400 mp teren

Abonează-te la newsletter să fii primul care primește cele mai noi recomandări de proprietăți și sfaturi de la experți.