Vand 2 loturi teren de 350 mp/parcela, zona Oncea, str Bunytai Vince

61.500 €
175.71 € / mp

Oncea, Oradea

Suprafață teren:
350 mp

Descriere teren

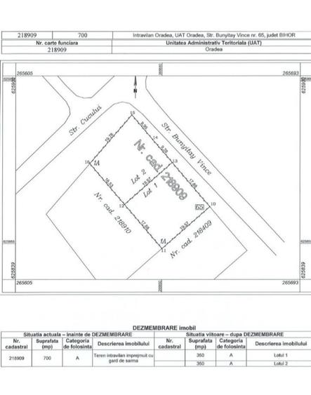
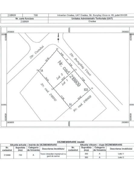
Vand doua loturi de teren de 350 mp/parcela, in Oncea pe platou, intr-o zona exceptionala cu toate utilitatile : asfalt, apa, canalizare, gaz , curent, situate la intersectia strazilor Bunytai Vince nr 65 cu str Cucului. Dimensiunile parcelelor si preturile lor sunt de : LOTUL nr 1 cu intrare din str Bunytai Vince in suprafata de 350 mp, cu dimensiuni de 17,5 ml front stradal pe 20 ml adancime. Pret lotul nr 1 : 61500 euro LOTUL nr 2 cu intrare din str Bunytai Vince, situat pe colt la intersectia strazilor Bunytai Vince nr 65 cu str Cucului , in suprafata de 350 mp, cu dimensiuni de 17,5 ml front stradal pe 20 ml adancime. Pret lotul nr 2 : 65000 euro. Preturi Fixe
Citește mai mult Citește mai puțin

Detalii teren

ID anunț: 4065891 Actualizat în: 03 Aprilie 2026
Suprafață teren: 350 mp

Istoric preț

Puncte de interes

Mijloace transport
transport
OTL 11
Mijloace transport aprox. 706 m
transport
OTL 11
Mijloace transport aprox. 708 m
Școală
education
Gradinita cu program prelungit Nr. 35
Învățământ aprox. 1864 m
education
Liceul Lucian Blaga
Învățământ aprox. 1911 m
education
Gradinita 20
Învățământ aprox. 1922 m
Recreere
restaurants
Lucky Club Bar Club and Games
Restaurante aprox. 582 m
shopping
LIDL Supermarket
Supermarket/Mall aprox. 1081 m
shopping
Novaeuro
Supermarket/Mall aprox. 1431 m
parks
Parcul Magnoliei
Recreere aprox. 1665 m

Proprietăți similare

Teren de 1157 mp, în Oncea
63.800 €
Oradea, Oncea
1.157 mp teren
Teren de 5096 mp, în Oncea
66.248 €
Oradea, Oncea
5.096 mp teren
Teren de 895 mp, în Oncea
65.000 €
Oradea, Oncea
895 mp teren
Teren intravilan de 900 mp, în Podgoria
64.800 €
Oradea, Podgoria
900 mp teren
Teren de 519 mp, în Decebal
66.500 €
Oradea, Decebal
519 mp teren
Teren de 665 mp, în Central
57.500 €
Oradea, Central
665 mp teren
Teren de 1661 mp, în Podgoria
58.135 €
Oradea, Podgoria
1.661 mp teren
Teren de 1000 mp, în Dealuri Oradea
59.000 €
Oradea, Dealuri Oradea
1.000 mp teren
Teren de 2349 mp, în Central
56.000 €
Oradea, Central
2.349 mp teren

Abonează-te la newsletter să fii primul care primește cele mai noi recomandări de proprietăți și sfaturi de la experți.