Terenuri de vanzare Moșnița Nouă – TOATE UTILITATILE-plata RATE

57.950 €
95 € / mp

Moşniţa Nouă, Judeţul Timiş

Suprafață teren:
610 mp
Tip teren:
Construcții

Descriere teren

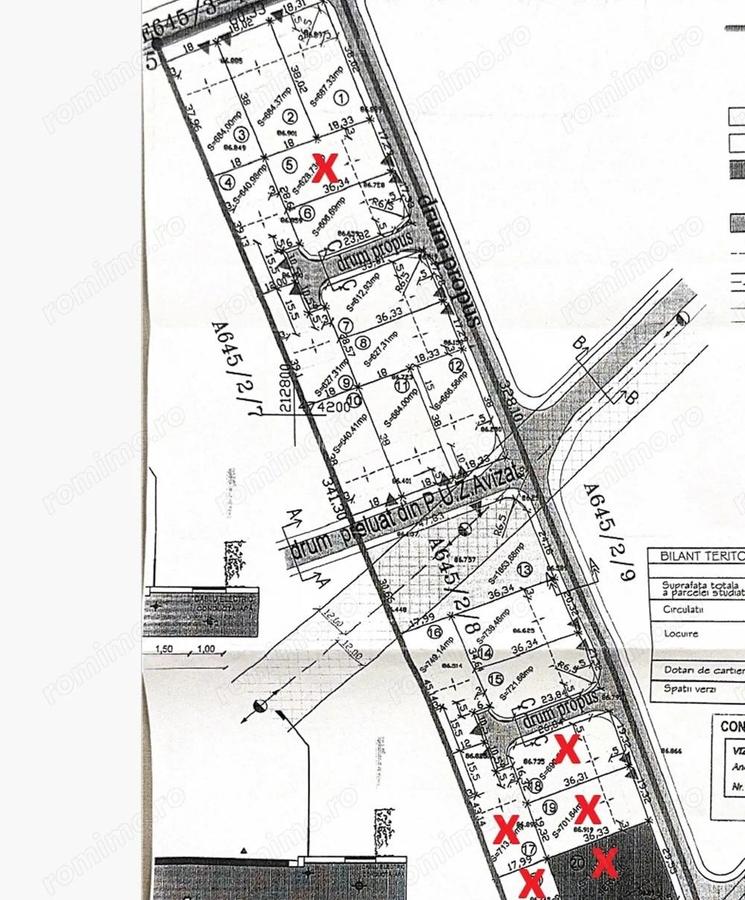
Cauți locul potrivit pentru viitoarea ta casă sau o investiție sigură în apropiere de Timișoara? Îți prezentăm un nou Plan Urbanistic Zonal, amplasat între Moșnița Nouă și Urseni, cu acces direct din Calea Medveș – Strada Veveriței. La doar 600 m de asfalt, terenurile se află într-o zonă liniștită, dar în același timp aproape de oraș si de punctele de interes ale comunei, într-o comunitate în continuă dezvoltare. Suprafețe variate, între 610 mp și 758 mp, pe care le poți achiziționa individual sau mai multe împreună, în funcție de planurile tale. Utilități garantate prin contract • Curent, gaz, apă rețea, canalizare și iluminat stradal • Toate utilitățile vor fi complet funcționale cel târziu în mai2026 Prețuri și avantaje • 95 €/mp +, TVA inclus • Modalități de plată flexibile, adaptate nevoilor cumpărătorilor: Toată documentația se pune la dispozitia cumparatorului, iar investiția este sigură și predictibilă. Exista certificate de urbanism emise pe toate loturile din PUZ Dacă îți dorești un teren bine poziționat, cu toate utilitățile asigurate și cu posibilitatea de plată etapizată, acest proiect este alegerea ideală. Comision agentie: 2%
Citește mai mult Citește mai puțin
Electricitate Apă Gaz Canalizare

Detalii teren

ID anunț: 1792848 Actualizat în: 12 Martie 2026
Suprafață teren: 610 mp
Tip teren: Construcții
Clasificare teren: Intravilan

Istoric preț

Facilități

Utilități
Curent Apă Canalizare Gaze
Amenajare străzi
Iluminat stradal Mijloace de transport în comun
Alte caracteristici
Acces auto

Puncte de interes

Mijloace transport
transport
Halta Urseni
Mijloace transport aprox. 1180 m
transport
Halta Urseni hc
Mijloace transport aprox. 1182 m
Recreere
parks
Stadion Urseni
Recreere aprox. 1531 m
restaurants
Valery 3 (en)
Restaurante aprox. 1756 m
restaurants
La Paul
Restaurante aprox. 1805 m

Proprietăți similare

Teren Construcții intravilan de 585 mp, în Moșnița Nouă
58.500 € + TVA
Județul Timiș, Moșnița Nouă
585 mp teren
Construcții
Teren Construcții de 647 mp, în Moșnița Nouă
55.000 €
Județul Timiș, Moșnița Nouă
647 mp teren
Construcții
Teren Construcții intravilan de 508 mp, în Moșnița Nouă
61.468 €
Județul Timiș, Moșnița Nouă
508 mp teren
Construcții
Teren Construcții intravilan de 665 mp, în Moșnița Nouă
53.900 €
Județul Timiș, Moșnița Nouă
665 mp teren
Construcții
Teren Construcții intravilan de 659 mp, în Moșnița Nouă
59.500 €
Județul Timiș, Moșnița Nouă
659 mp teren
Construcții
Teren Construcții intravilan de 612 mp, în Moșnița Nouă
59.990 €
Județul Timiș, Moșnița Nouă
612 mp teren
Construcții
Teren Construcții intravilan de 580 mp, în Moșnița Nouă
52.200 €
Județul Timiș, Moșnița Nouă
580 mp teren
Construcții
Teren Construcții intravilan de 659 mp, în Moșnița Nouă
59.999 €
Județul Timiș, Moșnița Nouă
659 mp teren
Construcții
Teren Construcții intravilan de 600 mp, în Moșnița Nouă
60.000 €
Județul Timiș, Moșnița Nouă
600 mp teren
Construcții

Abonează-te la newsletter să fii primul care primește cele mai noi recomandări de proprietăți și sfaturi de la experți.