Oportunitate Investi?ie: Teren intravilan 3.370 mp Gala?i-zona Barbo?i

135.000 €
40.06 € / mp

Bărboşi, Galaţi

Suprafață teren:
3.370 mp

Descriere teren

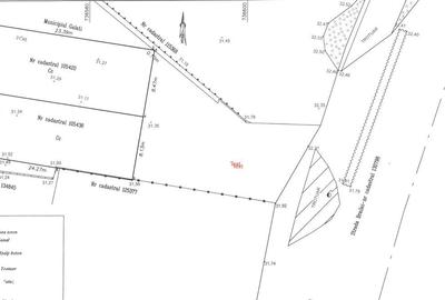
Oportunitate de Investitie Teren 3370 mp, Galati (Barbosi) Deschiere la 2 Strazi Va propunem spre achizitie un teren intravilan generos, in suprafata de 3370 mp, situat in zona Barbosi, Galati. Aceasta proprietate reprezinta o oportunitate pentru dezvoltatori si investitori, oferind o versatilitate remarcabila datorita indicatorilor urbanistici excelenti si a pozitionarii. Caracteristici Tehnice si Urbanistice: Terenul beneficiaza de o configuratie ideala, avand deschidere la doua strazi: -Deschidere la strada principala: 30ml -Deschidere la strada secundara: 40ml Indicatorii urbanistici permit o dezvoltare densa si eficienta a terenului: -POT maxim (Procent de Ocupare a Terenului): max 55% -CUT (Coeficient de Utilizare a Terenului): 2.20 Potential de Utilizare: Datorita suprafetei mari si a accesului dublu, terenul este pretabil pentru o gama larga de destinatii: -Rezidential: Ansamblu de locuinte sau case individuale. -Comercial si Servicii: Showroom-uri, spatii comerciale sau cladiri de birouri. -Industrial si Depozitare: Hale pentru depozitare, logistica sau mici unitati de productie. Situatia Constructiilor: In prezent, pe teren se afla doua constructii cu caracter utilitar, cu suprafete de 47mp respectiv 55mp, care pot fi adaptate, modernizate sau demolate pentru a face loc unui proiect nou, in functie de necesitatile cumparatorului. Puncte Forte: -Acces facil pentru trafic greu sau utilaje (ideal pentru productie/depozitare). -Vizibilitate excelenta datorita deschiderii generoase la strada principala. -Toate utilitatile zonei sunt disponibile pe proprietate : apa, canalizare, curent, inclusiv un put forat la adancimea de 36 de metri, asigurand o sursa proprie de apa, esentiala pentru faza de constructie sau activitati de productie. Nu ratati ocazia de a investi intr-o zona cu potential de crestere rapida! Pentru detalii suplimentare sau vizionari, va stam la dispozitie la telefon .
Citește mai mult Citește mai puțin

Detalii teren

ID anunț: 3896874 Actualizat în: 26 Martie 2026
Suprafață teren: 3.370 mp

Istoric preț

Puncte de interes

Mijloace transport
transport
Gara Barbosi
Mijloace transport aprox. 419 m
transport
Gara Barbosi
Mijloace transport aprox. 434 m
transport
Gara Barbosi Triaj h
Mijloace transport aprox. 1720 m

Proprietăți similare

Teren de 3370 mp, în Bărboși
135.000 €
Galați, Bărboși
3.370 mp teren
Teren de 1100 mp, în Exterior Vest
130.000 €
Galați, Exterior Vest
1.100 mp teren
Teren de 400 mp, în Ultimul leu
130.000 €
Galați, Ultimul leu
400 mp teren
Teren de 399 mp, în Central
125.000 €
Galați, Central
399 mp teren
Teren de 800 mp, în Ultracentral
144.000 €
Galați, Ultracentral
800 mp teren
Teren de 400 mp, în Ultimul leu
126.000 €
Galați, Ultimul leu
400 mp teren
Teren de 5313 mp, în Vânători
135.000 €
Județul Galați, Vânători
5.313 mp teren
Teren în Tecuci
128.000 €
Județul Galați, Tecuci

Abonează-te la newsletter să fii primul care primește cele mai noi recomandări de proprietăți și sfaturi de la experți.