Teren 1135 mp Bariera Valcii, aproape de Bordei, ideal constructii rezidentiale

€ 175.000
154.19 € / mp

Bariera Vâlcii, Craiova

Suprafață teren:
1.135 mp

Descriere

Raportează anunț

Teren 1135 mp Bariera Valcii, aproape de Bordei, ideal constructii rezidentiale

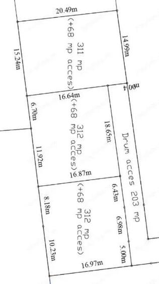
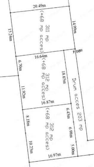
Blitz va propune spre vanzare un teren cu suprafata totala de 1135 mp, situat in zona Bariera Valcii, in proximitatea cartierului Bordei, intr-o zona apreciata pentru dezvoltari rezidentiale. Terenul beneficiaza de plan de parcelare deja realizat, fiind impartit in 3 loturi cu suprafete de 311 mp, 312 mp si 312 mp, plus aproximativ 200 mp alocati drumului de acces. Utilitatile sunt disponibile la drum, facilitand racordarea rapida. Zona este buna, cu constructii noi in vecinatate, acces facil si pozitionare avantajoasa, departe de termocentrala. Proprietatea este potrivita atat pentru constructia unei locuinte individuale, cat si pentru dezvoltare rezidentiala pe mai multe loturi. Cod oferta / ID BLITZ: P160927 ID anun? : 1767599324
Citește mai mult Citește mai puțin
ID anunț: 3080656 Actualizat în: 05 Ianuarie 2026
Suprafață teren: 1.135 mp

Istoric preț

Utilități

Utilități
Apă Gaze

Proprietăți similare

Teren de 1135 mp, în Bariera Vâlcii
€ 175.000
Craiova, Bariera Vâlcii
1.135 mp teren
Teren de 4760 mp, în Ghercești
€ 166.600
Craiova, Ghercești
4.760 mp teren
Teren de 2000 mp, în Central
€ 160.000
Craiova, Central
2.000 mp teren
Teren de 277 mp, în 1 Mai
€ 165.000
Craiova, 1 Mai
277 mp teren
Teren de 5300 mp, în Central
€ 175.000
Craiova, Central
5.300 mp teren
Teren de 9000 mp, în Central
€ 162.000
Craiova, Central
9.000 mp teren
Teren de 2181 mp, în Lascăr Catargiu
€ 179.000
Craiova, Lascăr Catargiu
2.181 mp teren
Teren de 5950 mp, în Lascăr Catargiu
€ 160.000
Craiova, Lascăr Catargiu
5.950 mp teren
Teren de 7500 mp, în Central
€ 187.500
Craiova, Central
7.500 mp teren

Abonează-te la newsletter să fii primul care primește cele mai noi recomandări de proprietăți și sfaturi de la experți.