Teren 900mp Giurgiului Luica comision 0%

249.900 €
3,570.00 € / mp

Giurgiului, Bucureşti

Suprafață teren:
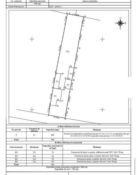
869 mp
Tip teren:
Construcții

Descriere teren

ID intern: 365673 De vanzare Teren 869mp. Casa 70mp + Garaj 30mp + anexe, in zona Giurgiului - Luica. Deschidere stradala pe un singur front de 12ml. Casa este din 1952, renovata in 2013 si este locuibila. Dispune de bucatarie, living, 2 dormitoare, baie, hol. Are centrala proprie, gresie, faianta, parchet, mobila, electrocasnice etc. Celelalte 2 corpuri anexe trebuie renovate complet, nu sunt locuibile. Garajul este ok. Terenul este aflat la 4 minute de viitoare stati de metrou de la intersectia Luica cu Giurgiului ( deja au inceput lucrarile ) Acordam indrumare in vederea acordarii unui credit bancar (BRD, FIRST BANK, ALPHA BANK, PATRIA BANK, BANCA TRANSILVANIA) COMISION 0%.
Citește mai mult Citește mai puțin
Electricitate Apă Gaz Canalizare

Detalii teren

ID anunț: 769278 Actualizat în: 24 Martie 2026
Suprafață teren: 869 mp
Tip teren: Construcții
Clasificare teren: Intravilan
Front stradal: 12 m

Istoric preț

Facilități

Utilități
Apă Curent Gaze Canalizare
Amenajare străzi
Asfaltate
Alte caracteristici
Acces auto

Puncte de interes

Mijloace transport
transport
Statia Actiunii / Pogoanele, linia 216
Mijloace transport aprox. 126 m
transport
Statia CET Progresul, linia 216
Mijloace transport aprox. 354 m
transport
Statia Izvorul Oltului 102, 220, 116
Mijloace transport aprox. 679 m
transport
Statia Izvorul Oltului, linia 220, 216, 202, 116
Mijloace transport aprox. 688 m
Școală
education
Clubul Sportiv Scolar 6
Învățământ aprox. 700 m
education
Gradinita
Învățământ aprox. 755 m
education
Gradinita 167
Învățământ aprox. 773 m
education
Scoala gimnaziala nr. 165
Învățământ aprox. 1017 m
Recreere
shopping
Profi
Supermarket/Mall aprox. 620 m
restaurants
Polyn Royal Saloon
Restaurante aprox. 646 m
shopping
Penny Market
Supermarket/Mall aprox. 718 m
parks
Parc
Recreere aprox. 737 m

Proprietăți similare

Teren Construcții intravilan de 924 mp, în Giurgiului
265.000 €
București, Giurgiului
924 mp teren
Construcții
Teren Construcții intravilan de 933 mp, în Brâncoveanu
247.000 €
București, Brâncoveanu
933 mp teren
Construcții
Teren Construcții intravilan de 404 mp, în Eroii Revoluției
225.000 €
București, Eroii Revoluției
404 mp teren
Construcții
Teren Construcții intravilan de 500 mp, în Parcul Carol
260.000 €
București, Parcul Carol
500 mp teren
Construcții
Teren Construcții intravilan de 1174 mp, în Metalurgiei
258.280 €
București, Metalurgiei
1.174 mp teren
Construcții
Teren Construcții intravilan de 5000 mp, în Tineretului
225.000 €
București, Tineretului
5.000 mp teren
Construcții
Teren Construcții intravilan de 302 mp, în Eroii Revoluției
230.000 €
București, Eroii Revoluției
Construcții
Teren Construcții intravilan de 3990 mp, în Metalurgiei
267.330 €
București, Metalurgiei
3.990 mp teren
Construcții
Teren Construcții intravilan de 934 mp, în Metalurgiei
248.000 €
București, Metalurgiei
934 mp teren
Construcții

Abonează-te la newsletter să fii primul care primește cele mai noi recomandări de proprietăți și sfaturi de la experți.