Teren 900mp Giurgiului Luica

€ 299.000
344.07 € / mp

Giurgiului, Bucureşti

Suprafață teren:
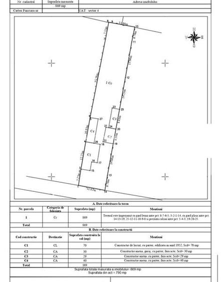
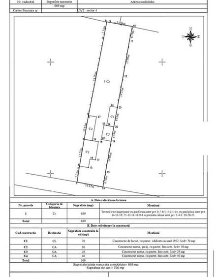
869 mp
Tip teren:
Construcții

Descriere

Raportează anunț

Teren 900mp Giurgiului Luica

ID intern: 362653 De vanzare Teren 869mp + Casa 70mp + Garaj 30mp + anexe, in zona Giurgiului - Luica.  Deschidere stradala pe un singur front de 12ml.  Casa este din 1952, renovata in 2013 si este locuibila. Dispune de bucatarie, living, 2 dormitoare, baie, hol. Are centrala proprie, gresie, faianta, parchet, mobila, electrocasnice etc. Celelalte 2 corpuri anexe trebuie renovate complet, nu sunt locuibile. Garajul este ok.  Acordam indrumare in vederea acordarii unui credit bancar (BRD, FIRST BANK, ALPHA BANK, PATRIA BANK, BANCA TRANSILVANIA) Se percepe comision 3%. Politica agentiei este de a optimiza negocierea pretului in raport cu comisionul.
Citește mai mult Citește mai puțin
ID anunț: 2896112 Actualizat în: 05 Decembrie 2025
Suprafață teren: 869 mp
Tip teren: Construcții
Clasificare teren: Intravilan
Front stradal: 12 m

Istoric preț

Utilități

Utilități
Apă Canalizare Gaze Curent

Proprietăți similare

Teren Construcții intravilan de 659 mp, în Berceni
€ 296.000
București, Berceni
659 mp teren
Construcții
Teren Construcții intravilan de 659 mp, în Apărătorii Patriei
€ 276.780
București, Apărătorii Patriei
659 mp teren
Construcții
Teren Construcții intravilan de 2500 mp, în Metalurgiei
€ 325.000
București, Metalurgiei
2.500 mp teren
Construcții
Teren Construcții intravilan de 3900 mp, în Alexandriei
€ 312.000
București, Alexandriei
3.900 mp teren
Construcții
Teren Construcții intravilan de 396 mp, în Chibrit
€ 280.000
București, Chibrit
396 mp teren
Construcții
Teren Construcții intravilan de 5958 mp, în Băneasa
€ 328.000
București, Băneasa
5.958 mp teren
Construcții
Teren Construcții intravilan de 1180 mp, în Străulești
€ 271.400
București, Străulești
1.180 mp teren
Construcții
Teren Construcții intravilan de 1109 mp, în Prelungirea Ghencea
€ 308.754
București, Prelungirea Ghencea
1.109 mp teren
Construcții
Teren Construcții intravilan de 2750 mp, în Splaiul Unirii
€ 302.500
București, Splaiul Unirii
2.750 mp teren
Construcții

Abonează-te la newsletter să fii primul care primește cele mai noi recomandări de proprietăți și sfaturi de la experți.