Teren 727 mp de vanzare Mosnita Veche, 2 fronturi, ideal casa sau SAD

85.059 €
117 € / mp

Moşniţa Veche, Judeţul Timiş

Suprafață teren:
727 mp
Tip teren:
Construcții

Descriere teren

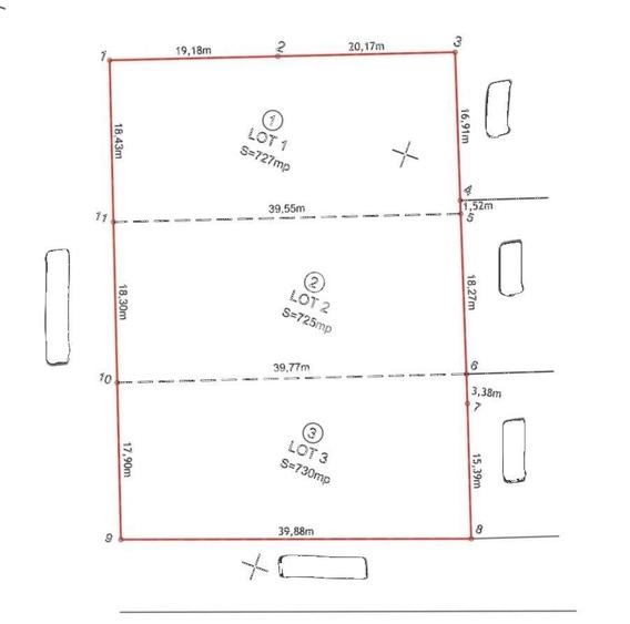
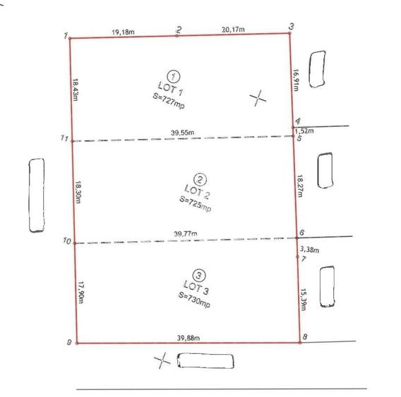
Apostu Estate va propune spre vanzare un teren intravilan format din 3 parcele alăturate în suprafață totală de 2182 mp in Mosnita Veche, situat excelent pe colt, cu doua fronturi stradale, in apropiere de vatra veche a localitatii. Suprafata parcelei este de 727 mp, cu o configuratie echilibrata si acces facil din doua strazi, ceea ce il face potrivit atat pentru constructie rezidentiala, cat si pentru dezvoltare spatii SAD (servicii, birouri, comert de proximitate). Caracteristici principale: • Suprafata: 727 mp • Tip teren: intravilan constructii • Deschidere la strada: 2 fronturi • Pozitionare: parcela de colt • Acces: drum asfaltat • Utilitati: apa, curent, gaz, canalizare in zona • PUZ aprobat Avantaje: • Pozitie foarte buna, aproape de zona veche si dezvoltata din Mosnita Veche • Vizibilitate ridicata datorita amplasarii pe colt – ideal pentru activitati comerciale • Zona in plina dezvoltare, cu acces rapid catre Timisoara • Potrivit pentru casa individuala, duplex sau spatiu comercial/SAD Pret: 120 euro/mp (87.240 euro) Disponibilitate imediata. Pentru mai multe detalii sau programarea unei vizionari, va stam la dispozitie.
Citește mai mult Citește mai puțin
Electricitate Apă Gaz Canalizare

Detalii teren

ID anunț: 4103459 Actualizat în: 21 Aprilie 2026
Suprafață teren: 727 mp
Tip teren: Construcții
Clasificare teren: Intravilan

Istoric preț

Facilități

Utilități
Curent Apă Canalizare Gaze
Amenajare străzi
Iluminat stradal Mijloace de transport în comun Asfaltate

Proprietăți similare

Teren Construcții intravilan de 638 mp, în Moșnița Veche
78.000 €
Județul Timiș, Moșnița Veche
638 mp teren
Construcții
Teren Construcții intravilan de 800 mp, în Moșnița Veche
84.000 €
Județul Timiș, Moșnița Veche
800 mp teren
Construcții
Teren Construcții intravilan de 635 mp, în Moșnița Veche
87.000 €
Județul Timiș, Moșnița Veche
635 mp teren
Construcții
Teren Construcții intravilan de 717 mp, în Moșnița Veche
83.900 €
Județul Timiș, Moșnița Veche
717 mp teren
Construcții
Teren Construcții intravilan de 1200 mp, în Moșnița Veche
84.000 € + TVA
Județul Timiș, Moșnița Veche
1.200 mp teren
Construcții
Teren Construcții intravilan de 800 mp, în Moșnița Veche
84.000 €
Județul Timiș, Moșnița Veche
800 mp teren
Construcții
Teren Construcții intravilan de 752 mp, în Moșnița Veche
79.990 €
Județul Timiș, Moșnița Veche
752 mp teren
Construcții
Teren Construcții intravilan de 1070 mp, în Săcălaz
79.500 €
Județul Timiș, Săcălaz
1.070 mp teren
Construcții
Teren Construcții intravilan de 2600 mp, în Izvin
91.000 €
Județul Timiș, Izvin
2.600 mp teren
Construcții

Abonează-te la newsletter să fii primul care primește cele mai noi recomandări de proprietăți și sfaturi de la experți.