Teren intravilan plat in Bran, 1000 mp, vedere către Bucegi, utilitati

99.900 €
99.90 € / mp

Bran, Judeţul Braşov

Suprafață teren:
1.000 mp
Tip teren:
Construcții

Descriere teren

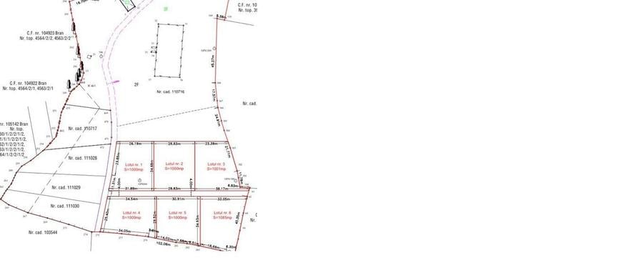
Aici poate fi urmatoarea ta investitie! Un teren intravilan plat cu suparafata de 1000 mp, situat în Bran, vis-a-vis de renumita cofetarie PANNER, într-o zonă liniștită și cu priveliște către Munții Bucegi. Terenul de vanzare este Lotul 1 din imaginea anexata. Va las aici un share location: https:// /maps/place/45°30'30.1"N+25°21'09.5"E/@45.5089491,25.3498468,508m/data=!3m1!1e3!4m4!3m3!8m2!3d45.5083702!4d25.352647?entry=ttu&g_ep=EgoyMDI0MTIwMy4wIKXMDSoASAFQAw%3D%3D Caracteristici teren: Suprafață: 1000 mp Forma terenului este regulata, permitand viitorului proprietar sa valorifice la maximum intreaga suprafata. Este insorit pe toata durata zilei. Priveliste superba catre muntii Bucegi si Piatra Craiului. Utilități: Apa și curentul electric sunt la limita proprietatii. Trebuie facute demersurile la furnizori pentru racordare. Acces: Drum pietruit, lat de 4 m, (cu acces din DN 73) pe o distanta de aprox. 200 m. POT: 30 % CUT: 0,6 Aprobat: P+1E+M Potrivit pentru: Casă de vacanță sau locuință permanentă, datorită poziționării retrase față de strada principală și liniștii zonei. Poziția terenului este ideala, deoarece imbina accesibilitatea cu linistea, fiind ferit de zgomot, dar totodată aproape de atracțiile locale. Zonă liniștită, retrasă, cu vecinătăți discrete și civilizate Aspecte importante: - unic proprietar - disponibilitate imediata - comision 0% pentru cumparator Pentru mai multe informații sau pentru a programa o vizionare, vă rugăm să ne contactați.
Citește mai mult Citește mai puțin
Electricitate Apă Canalizare

Detalii teren

ID anunț: 478247 Actualizat în: 03 Martie 2026
Suprafață teren: 1.000 mp
Tip teren: Construcții
Clasificare teren: Intravilan

Istoric preț

Facilități

Utilități
Curent Apă Canalizare
Alte caracteristici
Acces auto

Puncte de interes

Recreere
parks
Parcul Regina Maria
Recreere aprox. 1528 m
parks
Parc
Recreere aprox. 1610 m

Proprietăți similare

Teren Construcții intravilan de 3001 mp, în Bran
90.030 €
Județul Brașov, Bran
3.001 mp teren
Construcții
Teren Construcții intravilan de 2800 mp, în Bran
98.000 €
Județul Brașov, Bran
2.800 mp teren
Construcții
Teren Construcții intravilan de 5783 mp, în Bran
109.877 €
Județul Brașov, Bran
5.783 mp teren
Construcții
Teren Construcții intravilan de 3104 mp, în Bran
99.999 €
Județul Brașov, Bran
3.104 mp teren
Construcții
Teren Construcții intravilan de 1840 mp, în Bran
90.000 €
Județul Brașov, Bran
1.840 mp teren
Construcții
Teren Construcții intravilan de 2000 mp, în Bran
90.000 €
Județul Brașov, Bran
2.000 mp teren
Construcții
Teren Construcții intravilan de 2000 mp, în Bran
100.000 €
Județul Brașov, Bran
2.000 mp teren
Construcții
Teren Construcții intravilan de 3500 mp, în Bran
105.000 €
Județul Brașov, Bran
3.500 mp teren
Construcții
Teren Construcții intravilan de 3000 mp, în Bod
90.000 €
Județul Brașov, Bod
3.000 mp teren
Construcții

Abonează-te la newsletter să fii primul care primește cele mai noi recomandări de proprietăți și sfaturi de la experți.