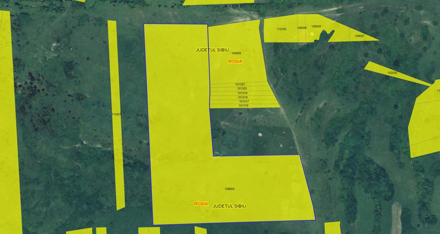
Teren agricol extravilan de vânzare – 67.500 mp – Dealul Daii, Sibiu

675.000 €
10 € / mp

Daia, Judeţul Sibiu

Suprafață teren:
67.500 mp
Clasificare teren:
Extravilan
Tip teren:
Agricol

Descriere teren

Teren agricol extravilan de vânzare – 67.500 mp – Dealul Daii, Sibiu Direct de la proprietar | Fără comision Se oferă spre vânzare un teren agricol extravilan, cu suprafața totală de 67.500 mp, situat în zona Dealul Daii – Sibiu. 📍 Localizare: la doar 15 minute de mers cu mașina de orașul Sibiu 🌄 Panoramă spectaculoasă: vedere deosebit de frumoasă asupra zonei 🚗 Acces facil: drum asfaltat până în imediata apropiere a terenului 📑 Acte în regulă – vânzare directă de la proprietar ➡️ Terenul reprezintă o oportunitate excelentă de investiție, fiind potrivit pentru agricultură, dezvoltare viitoare sau parcelare. Terenul este liber de sarcini, cu posibilitatea inițierii unui PUZ conform interesului cumpărătorului.
Citește mai mult Citește mai puțin
Canalizare

Detalii teren

ID anunț: 178455 Actualizat în: 20 Martie 2026
Suprafață teren: 67.500 mp
Tip teren: Agricol
Clasificare teren: Extravilan

Istoric preț

Facilități

Utilități
Canalizare
Amenajare străzi
De pământ
Alte caracteristici
Parcelabil

Proprietăți similare

Teren agricol intravilan de 19325 mp, în Aeroport
678.000 €
Sibiu, Aeroport
19.325 mp teren
f.s. 79 m
Intravilan
Teren agricol extravilan de 10000 mp, în Gușterița
650.000 €
Sibiu, Gușterița
10.000 mp teren
f.s. 38 m
Extravilan
Teren agricol intravilan de 9000 mp, în Vest
650.000 €
Sibiu, Vest
9.000 mp teren
f.s. 47 m
Intravilan
Teren agricol extravilan de 25000 mp, în Ultracentral
608.000 €
Județul Sibiu, Avrig
25.000 mp teren
Extravilan
Agricol
Teren agricol intravilan de 10000 mp, în Exterior Vest
690.000 €
Sibiu, Exterior Vest
10.000 mp teren
f.s. 58.799999237061 m
Intravilan
Teren agricol intravilan de 9000 mp, în Industrial Vest
675.000 €
Sibiu, Industrial Vest
9.000 mp teren
f.s. 48 m
Intravilan
Teren agricol intravilan de 19264 mp, în Industrial Vest
732.032 €
Sibiu, Industrial Vest
19.264 mp teren
f.s. 79 m
Intravilan

Abonează-te la newsletter să fii primul care primește cele mai noi recomandări de proprietăți și sfaturi de la experți.