3 săptămâni în urmă
4
- Proprietar
- Comision 0%
Teren de Vanzare Comuna Comana Sat Falastoaca
61.000 €
/ lună
10.70 €
/ mp
/ lună
Falaştoaca, Judeţul Giurgiu
Descriere spațiu comercial
Sesizează o problemă
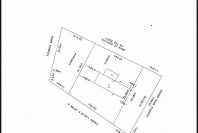
Vand casa cu teren intravilan in comuna Comana, sat Falastoaca. Proprietatea este compusa din casa ce necesita renovare, cu mai multe camere si doua beciuri, constructie solida, ideala pentru reamenajare dupa bunul plac, ca pe vremuri. Terenul are o suprafata de 5.701 mp, cu doua iesiri la drum asfaltat, avantaj major atat pentru locuit, cat si pentru parcelare. Utilitati: curent electric existent apa curenta la poarta, necesita doar racordare pe proprietate Zona este linistita, cu acces facil, potrivita pentru cei care cauta spatiu, intimitate si potential pe termen lung. Acte in regula. Pret negociabil. Pentru mai multe detalii, sunati cu incredere
Citește mai mult
Citește mai puțin
ID anunț: 3676983
Actualizat în: 26 Martie 2026
Istoric preț
Proprietăți similare
Abonează-te la newsletter să fii primul care primește cele mai noi recomandări de proprietăți și sfaturi de la experți.
Căutări similare
- Spații comerciale de închiriat în Falaștoaca
- Spații comerciale de închiriat în Giurgiu
- Spații comerciale de închiriat în Bolintin-Vale
- Spații comerciale de închiriat în Joița
- Spații comerciale de închiriat în Bâcu
- Spații comerciale de închiriat în Adunații-Copăceni
- Spații comerciale de închiriat în Bolintin-Deal
- Spații comerciale de închiriat în Mihăilești
- Spații comerciale de închiriat în Săbăreni
- Spații comerciale de închiriat în Dobreni
- Spații comerciale de închiriat în Ghimpați
- Spații comerciale de închiriat în Bălanu