Proprietar Vand Sau Schimb Teren Central Domnesti Ilfov

79 € / lună
0.04 € / mp / lună

Domneşti, Judeţul Ilfov

Suprafață teren:
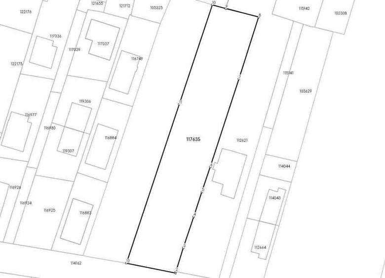
1.900 mp

Descriere spațiu comercial

PROPRIETAR VAND / SCHIMB / INCHIRIEZ TEREN INTRAVILAN 1900 MP IN DOMNESTI ILFOV. POSIBILITATE RATE DIRECT NOTARIAT. Deschidere 19 m la drum public asfaltat. Toate utilitatile (alimentare cu apa curenta, gaz metan, energie electrica, internet, cablu tv si acces la reteaua de canalizare) sunt la limita de proprietate. Terenul se afla pe strada Baboi la nr. 79, in plan secund fata de strada principala (Tudor Vladimirescu), ferit de zgomotul traficului rutier. Statie autobuz la 5 min de mers pe jos. Recent imprejmuit, curatat si nivelat pe toata suprafata + put forat functional, insemnand o economie substantiala pe viitor pentru dvs. In zona sunt in curs de dezvoltare noi proiecte de infrastructura pentru fluidizarea traficului auto din si inspre Domnesti: largirea Prelungirii Ghencea la 4 benzi, lucrari de largire la 4 benzi pe Centura Bucuresti intre A1 si DN5, Drumul Radial 1 Vest Expres (DR1), extindere retea metrou M3, etc. Acces rapid Sector 6, Chiajna, Bragadiru, Clinceni, Teghes, Ciorogarla. Terenul este grevat de sarcini si poate fi achizitionat imediat. Toate actele la zi. Posibil schimb imobil +- diferenta.
Citește mai mult Citește mai puțin
ID anunț: 2694019 Actualizat în: 05 Aprilie 2026

Istoric preț

Puncte de interes

Școală
education
Scoala Mare
Învățământ aprox. 1760 m
Recreere
shopping
Mega Image
Supermarket/Mall aprox. 1512 m
restaurants
Restaurant Casa Domnesti
Restaurante aprox. 1854 m

Proprietăți similare

Spațiu comercial, în Domnești
80 € / lună
Județul Ilfov, Domnești
12.300 mp teren
Spațiu comercial, în Berceni
76 € / lună
Județul Ilfov, Berceni
5.000 mp teren
Spațiu comercial, în Central
83 € / lună
Județul Ilfov, Bragadiru
2.500 mp teren
Spațiu comercial, în Tamași
75 € / lună
Județul Ilfov, Tamași
2.500 mp teren
Spațiu comercial, în Brănești
75 € / lună
Județul Ilfov, Brănești
1.886 mp teren
Spațiu comercial, în Central
79 € / lună
Județul Ilfov, Buftea
2.307 mp teren
Spațiu comercial, în Berceni
75 € / lună
Județul Ilfov, Berceni
370 mp teren
Spațiu comercial, în Central
80 € / lună
Județul Ilfov, Măgurele
5.000 mp teren
Spațiu comercial, în Brănești
80 € / lună
Județul Ilfov, Brănești
555 mp teren

Abonează-te la newsletter să fii primul care primește cele mai noi recomandări de proprietăți și sfaturi de la experți.