Mai mult de un an
8
- Proprietar
- Comision 0%
Vand parcele teren intravilan 400-500 mp Baldana-Dambovita
30 €
/ lună
Prețul este preluat din anunțul original și poate include sau nu TVA. Verificați cu vânzătorul.
0 €
/ mp
/ lună
Bâldana, Judeţul Dâmboviţa
Descriere spațiu comercial
Sesizează o problemă
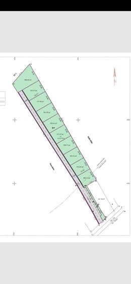
Vand parcele de teren intravilan de 400-500 mp pentru case, in Baldana-Tartasesti, deschidere la drum asfaltat DC 156, cu stalp de curent electric si conducta de gaze langa teren, avize favorbile de racordare la ambele utilitati. Zona linistita intre case, nu in camp. Padurea la 300 m. Toate actele sunt la zi. Conform planului primariei Tartasesti, urmeaza constructia retelei de apa si canalizare.Pret 30 euro pe mp. Se poate vinde si integral, suprafata 7900 mp., pretul este de 130.000 euro. Raspund doar celor direct interesati de achizitie. Este o investitie sigura la 40 de km si 40 de minute de Piata Victoriei. Urmeaza in curand finalizarea largirii DN71 la 4 benzi de circulatie.
Citește mai mult
Citește mai puțin
Zonă rurală
Actualizat în: 14 Mai 2026
ID anunț: 1427398
Istoric preț
Abonează-te la newsletter să fii primul care primește cele mai noi recomandări de proprietăți și sfaturi de la experți.
Căutări similare
- Spații comerciale de închiriat în Bâldana
- Spații comerciale de închiriat în Târgoviște
- Spații comerciale de închiriat în Crevedia
- Spații comerciale de închiriat în Aninoasa
- Spații comerciale de închiriat în Găești
- Spații comerciale de închiriat în Pucioasa
- Spații comerciale de închiriat în Titu
- Spații comerciale de închiriat în Priseaca
- Spații comerciale de închiriat în Tărtășești
- Spații comerciale de închiriat în Viforâta
- Spații comerciale de închiriat în Răzvad
- Spații comerciale de închiriat în Ulmi