Teren intravilan, 12.200 mp, toate utilita?ile, zona de case, Tunari

1.100.000 €
90.16 € / mp

Tunari, Judeţul Ilfov

Suprafață teren:
12.200 mp

Descriere teren

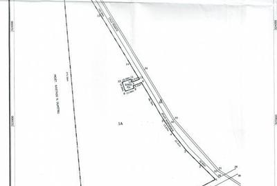
Exclusivitate!Suprafata teren- 12.200 mp;Lungime -455 m;Deschidere drum asfaltat Str. Orientului, Tunari- Ilfov) -27 m;Deschidere la drum (pietruit- in curs de asfaltare) si in partea opusa, respectiv la str. Balta propunem spre vanzare un teren intravilan in suprafata de 12.200 mp (forma dreptunghi) intr-o zona ravnita din Nordul Capitalei, pretabil pentru dezvoltare rezidentiala cu un urias potential, situat intr-o zona de case cu regim de inaltime redus, cu toate utilitatile pe teren (gaz, apa, canalizare si curent), la doar 7 minute de centura Bucuresti, respectiv pe str. Orientului din Tunari, Ilfov.Terenul are o incadrare dreptunghiulara cu Lungime de 455 m si o Latime de 27 m iar deschiderea generoasa permite o dezvoltare rezidentiala de circa 24 loturi de 500mp altfel, zona s-a bucurat de o dezvoltare continua in ultimii ani iar finalizarea autostrazii A0 precum si avansarea accelerata a prelungirii magistralei de metrou pana la aeroportul Henri Coanda precum si modernizarea arterelor secundare si aducerea tuturor utilitatilor in zona nu fac decat sa confirme potentialul imediat al terenului.Proiectele de dezvoltare rezidentiala finalizate din vecinatate (Amelia Residence 1 si 2; Complex Primaverii Park 3; Mira Residence; Ivonco Residence etc) dar si multiple alte proiecte rezidentiale in derulare sunt doar cateva exemple confirmate de investitii care asigura o marja de profitabilitate sporita. Pozitionarea terenului ofera numeroase avantaje prin acces rapid catre diverse cai rutiere dar si multiple facilitati in imediata vecinatate:9 min de autostrada A3 (6km);7 min de centura Bucuresti (4km);9 min de DN1 (5,5 KM);12 min de Pipera (7km);Scoala Americana- 3km;Lidl- 2 km;Mall Baneasa- 10 km; IMPORTANT!Pretul afisat este valabil pentru tot lotul de teren. In varianta lotizarii pretul creste considerabil.Terenul si vecinatatea pot fi evaluate prin accesarea filmarii cu drona pe care o regasiti in anunt sau la asteptam cu drag la vizionare si raspundem oricaror intrebari.
Citește mai mult Citește mai puțin

Detalii teren

ID anunț: 3600846 Actualizat în: 02 Aprilie 2026
Suprafață teren: 12.200 mp

Istoric preț

Puncte de interes

Școală
education
Scoala Nr. 1 Tunari
Învățământ aprox. 981 m
Recreere
restaurants
Pensiunea "La Zdrobitu' "
Restaurante aprox. 494 m

Proprietăți similare

Teren de 33200 mp, în Tunari
1.165.500 €
Județul Ilfov, Tunari
33.200 mp teren
Teren de 15365 mp, în Tunari
1.088.000 €
Județul Ilfov, Tunari
15.365 mp teren
Teren de 5000 mp, în Central
1.074.000 €
Județul Ilfov, Voluntari
5.000 mp teren
Teren intravilan de 15000 mp, în Corbeanca
1.035.000 €
Județul Ilfov, Corbeanca
15.000 mp teren
Teren de 20060 mp, în Glina
1.200.000 €
Județul Ilfov, Glina
20.060 mp teren
Teren de 25700 mp, în Ștefăneștii de Sus
1.028.000 €
Județul Ilfov, Ștefăneștii de Sus
25.700 mp teren
Teren de 25000 mp, în Balotești
1.175.000 €
Județul Ilfov, Balotești
25.000 mp teren
Teren de 16248 mp, în Domnești
1.056.120 €
Județul Ilfov, Domnești
16.248 mp teren
Teren de 800 mp, în Otopeni
1.120.000 €
Județul Ilfov, Otopeni
800 mp teren

Abonează-te la newsletter să fii primul care primește cele mai noi recomandări de proprietăți și sfaturi de la experți.