
2 zile în urmă
1
- Agenție
9 MAI- TEREN INTRAVILAN , 3 LOTURI
118.000 €
Păcii, Tulcea
Descriere
Raportează anunț
Sesizează o problemă
9 MAI- TEREN INTRAVILAN , 3 LOTURI
9 MAI- TEREN INTRAVILAN , 3 LOTURI
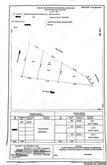
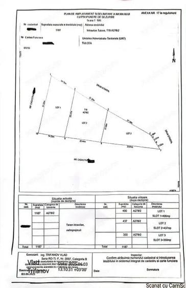
Dobrogea Imobiliare va prezinta spre vanzare trei loturi de teren intravilan in zona 9 Mai. Se poate vinde suprafata totala sau lotizat astfel: -Lot 1-suprafata 400mp ,deschidere stradala 14,75ml -Lot 2-suprafata 437 mp, deschidere stradala 21,20 ml -Lot 3- suprafata 350 mp,deschidere stradala 27,18 ml Lot 1+Lot 2+Lot 3=1187mp Utilitatile sunt in apropiere. Va a?teptam la vizionare! Ne pute?i vizita la sediul nostru situat pe str. Pacii, nr. 6 (la parterul hotelului Select) pentru consultanta gratuita Pentru mai multe oferte vizita?i site-ul www.Dobrogea-Imobiliare.ro sau pagina www.facebook.com/agentia.dobrogea. ID anun?
Citește mai mult
Citește mai puțin
ID anunț: 8627253
Actualizat în: 01 Octombrie 2025
Suprafață teren:
1.187 mp
Proprietăți similare
Abonează-te la newsletter să fii primul care primește cele mai noi recomandări de proprietăți și sfaturi de la experți.
Căutări similare
- Terenuri de vânzare în Păcii
- Terenuri de vânzare în Tulcea
- Terenuri de vânzare în Central
- Terenuri de vânzare în Orizontului
- Terenuri de vânzare în Peco
- Terenuri de vânzare în Babadag
- Terenuri de vânzare în E3
- Terenuri de vânzare în Sud
- Terenuri de vânzare în Vărăriei
- Terenuri de vânzare în Vest
- Terenuri de vânzare în Neptun
- Terenuri de vânzare în Periferie