Teren Snagov Izvorani, loturi 500 - 1000Mp

400.000 €
40 € / mp

Snagov, Judeţul Ilfov

Tip teren:
Construcții

Descriere teren

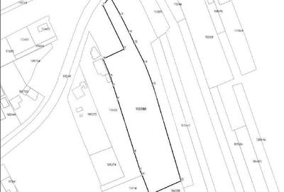
Descoperiți oportunitatea ideală pentru investiții sau dezvoltare! Vă prezentăm un teren intravilan cu suprafața de 10.000 mp, perfect pentru proiecte rezidențiale, comerciale sau mixte. Beneficii și facilități: - Teren construibil, cu posibilitate de dezvoltare până la suprafața maximă de 10.000 mp - Deschidere generoasă de 57 metri la șosea, asigurând acces facil și vizibilitate excelentă - Acces la utilități esențiale: gaze, electricitate și asfalt, pentru o dezvoltare rapidă și facilă - Localizare excelentă, în apropiere de mijloace de transport în comun, facilități și servicii: - Parcuri și zone de agrement pentru relaxare și petrecere a timpului liber - Magazine, supermarketuri și centre comerciale pentru nevoile zilnice - Școală și grădiniță în proximitate, ideale pentru familie și comunitate Nu ratați această oportunitate unică de a achiziționa un teren cu potențial de dezvoltare ridicat, într-o zonă cu acces facil și toate utilitățile necesare. Contactați-ne pentru mai multe detalii și pentru a programa o vizionare!
Citește mai mult Citește mai puțin

Detalii teren

ID anunț: 707133 Actualizat în: 31 Martie 2026
Tip teren: Construcții
Clasificare teren: Intravilan

Istoric preț

Facilități

Amenajare străzi
Iluminat stradal Asfaltate Mijloace de transport în comun
Alte caracteristici
Acces auto Parcelabil La șosea Oportunitate de investiție

Puncte de interes

Recreere
parks
Teren sportiv
Recreere aprox. 1251 m
parks
Teren sportiv
Recreere aprox. 1309 m

Proprietăți similare

Teren de 1976 mp, în Snagov
379.000 €
Județul Ilfov, Snagov
1.976 mp teren
Teren de 5986 mp, în Snagov
367.220 €
Județul Ilfov, Snagov
5.986 mp teren
Teren de 16140 mp, în Cernica
395.000 €
Județul Ilfov, Cernica
16.140 mp teren
Teren de 3500 mp, în Central
420.000 €
Județul Ilfov, Bragadiru
3.500 mp teren
Teren de 7500 mp, în Găneasa
375.000 €
Județul Ilfov, Găneasa
7.500 mp teren
Teren în Jilava
370.500 €
Județul Ilfov, Jilava
Teren de 4972 mp, în Afumați
422.620 €
Județul Ilfov, Afumați
4.972 mp teren
Teren de 13900 mp, în Domnești
417.000 €
Județul Ilfov, Domnești
13.900 mp teren
Teren de 6193 mp, în Corbeanca
371.580 €
Județul Ilfov, Corbeanca
6.193 mp teren

Abonează-te la newsletter să fii primul care primește cele mai noi recomandări de proprietăți și sfaturi de la experți.