
5 luni în urmă
6
- Agenție
Marius Laurentiu
110.000 €
Actualizat pe: 20 Sep 2025
-
Scoala Berceni
aprox. 52 m
-
Teren sportiv
aprox. 317 m
-
Salon Evenimente Casa Alba
aprox. 1959 m
Afacere!!! Teren intravilan - Urbanism pentru 3 case - Gaze
110.000 €
Berceni, București
Descriere
Raportează anunț
Sesizează o problemă
Afacere!!! Teren intravilan - Urbanism pentru 3 case - Gaze
Afacere!!! Teren intravilan - Urbanism pentru 3 case - Gaze
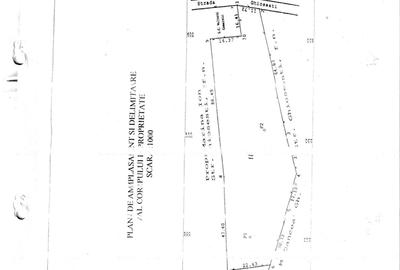
PROPRIETAR!! Teren intravilan construibil cu urbanism scos pentru 3 case individuale!! Lotul este situat la cca. 400m de Blv. principal cu acces din str Ciulin, sau cca. 1 km din str. Independentei!! Zona este foarte populata si foarte linistita! Utilitati: Gaze naturale si Curent electric in fata lotului! Pentru mai multe detalii nu ezitati sa ma contactati ** Programari pentru vizionari si in weekend *** COMISION 0%
0770.****phone_0
Vezi tot numărul
Laurentiu Marius. Publicat prin HomeZZ.ro, vezi anuntul complet aici.
Citește mai mult
Citește mai puțin
ID anunț: 453121
Actualizat în: 20 Septembrie 2025
Suprafață teren:
1.003 mp
Clasificare teren:
Intravilan
Istoric preț
Proprietăți similare
Abonează-te la newsletter să fii primul care primește cele mai noi recomandări de proprietăți și sfaturi de la experți.
Căutări similare
- Terenuri de vânzare în Berceni
- Terenuri de vânzare în Sector 4
- Terenuri de vânzare în Giurgiului
- Terenuri de vânzare în Metalurgiei
- Terenuri de vânzare în Sud
- Terenuri de vânzare în Văcăresti
- Terenuri de vânzare în Brâncoveanu
- Terenuri de vânzare în Centura Sud
- Terenuri de vânzare în Eroii Revoluției
- Terenuri de vânzare în Olteniței
- Terenuri de vânzare în Tineretului