Pantelimon, jud Ilfov, teren 6340 mp

951.000 €
150 € / mp

Pantelimon, Judeţul Ilfov

Suprafață teren:
6.340 mp

Descriere teren

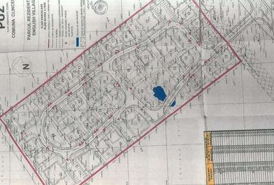
Avem placerea sa va oferim spre vanzare acest teren de colt situat pe strada Rascoala din 1907 colt cu strada Calarasi, din Pantelimon, jud. Ilfov, intr-o zona cu potential ridicat pentru dezvoltare ansamblu de case. Terenul are o forma dreptunghiulara si o deschidere generoasa de 220 metri la Strada Calarasi, oferind flexibilitate pentru proiecte rezidentiale individuale sau ansambluri de locuinte. Terenul beneficiaza de acces rapid la principalele artere si infrastructura: 1 km pana la Centura Bucuresti (DNCB), 7 km pana la Autostrada A0 si 7 km pana la Autostrada A2, iar Bulevardul Biruintei se afla la doar 1,5 km distanta. Utilitatile sunt la marginea terenului. Vecinatati: Selgros; Mega Image, Noon residence, Ferma Animalelor Terenul poate fi vandut integral sau impartit in loturi individuale cu suprafete intre 360 mp si 550 mp + % cota indiviza din drumuri, conform schita Accesibilitate: 1 km pana la Centura Bucuresti (DNCB) 7 km pana la Autostrada A0 7 km pana la Autostrada A2 1.5 km pana la Bulevardul Biruintei 2,7 km pana la statia de metrou Pantelimon Pret: 150 E mp ( taxare inversa ) Pentru detalii suplimentare si vizionari, ma puteti contacta la tel Whatsapp: sau [email protected] . ID intern DGbC MS 111125 PAN ID anun? : 1766052285
Citește mai mult Citește mai puțin
Apă Gaz

Detalii teren

ID anunț: 2989206 Actualizat în: 26 Martie 2026
Suprafață teren: 6.340 mp

Istoric preț

Facilități

Utilități
Apă Gaze
Amenajare străzi
Asfaltate
Alte caracteristici
Oportunitate de investiție La șosea Acces auto

Proprietăți similare

Teren de 25000 mp, în Central
971.074 €
Județul Ilfov, Popești-Leordeni
25.000 mp teren
Teren de 6200 mp, în Haliu
930.000 €
Județul Ilfov, Bragadiru
6.200 mp teren
Teren de 25000 mp, în Moara Vlăsiei
875.000 €
Județul Ilfov, Moara Vlăsiei
25.000 mp teren
Teren intravilan de 38500 mp, în Nord
880.000 €
Județul Ilfov, Buftea
38.500 mp teren
Construcții
Teren în Tamași
995.000 €
Județul Ilfov, Tamași
Teren intravilan de 35000 mp, în Central
875.000 €
Județul Ilfov, Bragadiru
35.000 mp teren
Construcții
Teren în Ghermănești
969.215 €
Județul Ilfov, Ghermănești
Teren de 8700 mp, în Tunari
934.650 €
Județul Ilfov, Tunari
8.700 mp teren
Teren de 17850 mp, în Balotești
999.600 €
Județul Ilfov, Balotești
17.850 mp teren

Abonează-te la newsletter să fii primul care primește cele mai noi recomandări de proprietăți și sfaturi de la experți.