
2 luni în urmă
4
- Agenție
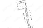
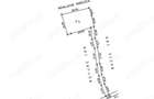
Teren intravilan de 866 mp de vanzare in inima Mun?ilor Vrancei Gresu
10.000 €
Greșu, Județul Vrancea
Descriere
Raportează anunț
Sesizează o problemă
Teren intravilan de 866 mp de vanzare in inima Mun?ilor Vrancei Gresu
Teren intravilan de 866 mp de vanzare in inima Mun?ilor Vrancei Gresu
Teren intravilan de 866 mp de vanzare in inima Mun?ilor Vrancei Gresu O oportunitate unica de a de?ine un col? de rai in mijlocul naturii! Se ofera spre vanzare un teren intravilan de 866 mp, situat in pitorescul sat Gresu, comuna Tulnici, jude?ul Vrancea un loc ideal pentru construirea unei case de vacan?a, pentru relaxare, medita?ie, plimbari sau activita?i in aer liber. Terenul beneficiaza de acces direct din strada principala, pe drum privat, oferind lini?te ?i intimitate, dar ?i accesibilitate facila. Atrac?ii din apropiere: Cheile Ti?i?ei rezerva?ie naturala spectaculoasa, perfecta pentru drume?ii Cascada Putnei un col? de natura impresionant Trasee montane accesibile pentru drume?ii sau plimbari cu ATV-ul Paduri ?i peisaje de vis, perfecte pentru relaxare ?i conectare cu natura Terenul este ideal atat pentru uz personal (casa de vacan?a, cabana), cat ?i pentru investi?ie turistica (pensiune, glamping etc.). Loca?ie: Gresu, Mun?ii Vrancei Suprafa?a: 866 mp Acces: drum privat, direct din strada principala ID anun?
Citește mai mult
Citește mai puțin
ID anunț: 3920437
Actualizat în: 19 Septembrie 2025
Suprafață teren:
866 mp
Clasificare teren:
Intravilan
Istoric preț
Proprietăți similare
Abonează-te la newsletter să fii primul care primește cele mai noi recomandări de proprietăți și sfaturi de la experți.
Căutări similare
- Terenuri de vânzare în Greșu
- Terenuri de vânzare în Focșani
- Terenuri de vânzare în Urechești
- Terenuri de vânzare în Golești
- Terenuri de vânzare în Odobești
- Terenuri de vânzare în Păunești
- Terenuri de vânzare în Bolotești
- Terenuri de vânzare în Câmpineanca
- Terenuri de vânzare în Garoafa
- Terenuri de vânzare în Gologanu
- Terenuri de vânzare în Lepșa
- Terenuri de vânzare în Mărășești