Focsani, Teren 1000 MP de vanzare, str. Agriculturii 46 bis

164 €
0.16 € / mp

Central, Focşani

Suprafață teren:
1.000 mp

Descriere teren

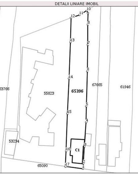
Teren de vanzare 164 euro/mp negociabil. Suprafata terenului este de 1000 MP, cu deschiderea de 11 M. 2 fronturi stradale, unul pe str. Agriculturii si un front catre o viitoare strada care urmeaza a fi amenajata de primarie. Bonus : Casa locuibila din zid masiv din caramida la un rand si jumatate. Direct de la proprietar. Terenul este pozitionat la 10 min de mers fata de zona centrala a orasului pe o strada recent asfaltata. Terenul dispune de toate utilitatile (gaze, apa, canalizare, curent electric, cablu). Zona civilizata cu vecini foarte buni. Terenul poate fi vizitat in perioada 24-25 martie ocazie cu care se poate discuta si negocia direct cu proprietarul prezent la fata locului. Tel Contact :
Citește mai mult Citește mai puțin

Detalii teren

ID anunț: 3889483 Actualizat în: 19 Martie 2026
Suprafață teren: 1.000 mp

Istoric preț

Puncte de interes

Mijloace transport
transport
Autogara Focsani
Mijloace transport aprox. 202 m
transport
Gara CFR Focsani
Mijloace transport aprox. 1125 m
transport
Gara CFR Focsani
Mijloace transport aprox. 1132 m
transport
Statie Microbuz
Mijloace transport aprox. 1148 m
Școală
education
Liceul Forestier nr. 3
Învățământ aprox. 510 m
education
Scoala Generala Nr 7
Învățământ aprox. 743 m
education
Scoala Generala Nr. 9
Învățământ aprox. 1174 m
education
Scoala Generala Nr. 3
Învățământ aprox. 1842 m
Recreere
shopping
Zanfir Supermarket
Supermarket/Mall aprox. 338 m
shopping
Penny Market
Supermarket/Mall aprox. 873 m
parks
Parcul Nicolae Balcescu
Recreere aprox. 926 m
restaurants
Intim Pub & Grill
Restaurante aprox. 959 m

Abonează-te la newsletter să fii primul care primește cele mai noi recomandări de proprietăți și sfaturi de la experți.