
8 luni în urmă
6
- Agenție
Teren industrial-comercial zona Proiectulului Urbano Shopping & Living
468.000 €
Florești, Județul Cluj
Descriere
Raportează anunț
Sesizează o problemă
Teren industrial-comercial zona Proiectulului Urbano Shopping & Living
Teren industrial-comercial zona Proiectulului Urbano Shopping & Living
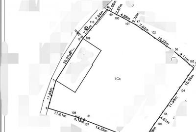
Avem placerea de a va prezenta o oportunitate excelenta pentru investi?ie in localitatea Flore?ti, situata in apropierea sensului giratoriu Luna de Sus, intr-o zona aflata in expansiune datorita Proiectului Urbano Shopping & Living. Terenul propus spre vanzare are o suprafa?a de 8388 mp ?i dispune de urmatoarele caracteristici: Tip teren: industrial Intravilan Extravilan Dimensiuni: 125 m lungime, 75 m la?ime La?imea drumului de acces: 7 m La?imea drumului de servitute: 7 m Numar fronturi: 2 Front la strada: 75 m Terenul se afla intr-o zona comercial-industriala, fiind ideal pentru diverse activita?i economice sau dezvoltari imobiliare. Daca aceasta oferta va intereseaza sau pentru informa?ii suplimentare, nu ezita?i sa ne contacta?i telefonic sau sa vizita?i sediul nostru EDIL Flore?ti, Str. Eroilor, Nr. 25, Ap. 15 (et. 1), Flore?ti. ID anun?
Citește mai mult
Citește mai puțin
ID anunț: 2904625
Actualizat în: 01 Octombrie 2025
Suprafață teren:
8.388 mp
Istoric preț
Utilități
Utilități
Apă
Gaze
Proprietăți similare
Abonează-te la newsletter să fii primul care primește cele mai noi recomandări de proprietăți și sfaturi de la experți.
Căutări similare
- Terenuri de vânzare în Florești
- Terenuri de vânzare în Cluj-Napoca
- Terenuri de vânzare în Chinteni
- Terenuri de vânzare în Dej
- Terenuri de vânzare în Sălicea
- Terenuri de vânzare în Gilău
- Terenuri de vânzare în Luna
- Terenuri de vânzare în Apahida
- Terenuri de vânzare în Beliș
- Terenuri de vânzare în Feleacu
- Terenuri de vânzare în Turda
- Terenuri de vânzare în Gherla