Teren intravilan 12.656 mp cu deschidere mare la drum op

150.000 €

Central, Cluj-Napoca

Descriere teren

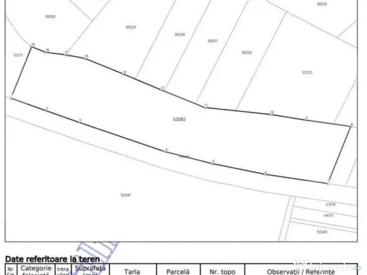
Blitz ofera spre vanzare teren intravilan in suprafata de 12.656 mp, ideal pentru investitii de anvergura. Proprietatea beneficiaza de un front generos la sosea de aproximativ 270 ml si o adancime de circa 50 ml, oferind multiple posibilitati de dezvoltare. Conform PUG, terenul este destinat constructiilor rezidentiale, iar utilitatile se afla la aproximativ 250 m. Pozitionarea strategica, pe un drum judetean aflat in plina dezvoltare, ofera un avantaj major pe termen mediu si lung. Odata cu finalizarea conexiunilor rutiere importante din zona, locatia va deveni un punct de tranzit intens circulat, ceea ce face ca terenul sa fie extrem de potrivit pentru dezvoltari comerciale precum statie de alimentare, restaurant sau spatii de servicii cu parcare pentru trafic greu. O alegere excelenta pentru investitori care cauta vizibilitate, accesibilitate si potential ridicat de crestere. Nu ezitati sa ma contactati pentru mai multe detalii. Cod oferta / ID BLITZ: P165494 Id intern: P165494
Citește mai mult Citește mai puțin

Detalii teren

ID anunț: 3923007 Actualizat în: 22 Martie 2026
Front stradal: 50 m

Istoric preț

Puncte de interes

Mijloace transport
transport
Statia Bucuresti 2, Linia 36
Mijloace transport aprox. 247 m
transport
Bucuresti
Mijloace transport aprox. 256 m
transport
Statia Piata Marasti, liniile 8,24,30,46B,47, 4, 6, 7, 25
Mijloace transport aprox. 267 m
transport
Statia Piata Marasti, Liniile: 8,24,30,47, 4,6,7,25
Mijloace transport aprox. 285 m
Școală
education
Gradinita
Învățământ aprox. 304 m
education
Grădinita Aşchiuţă str. 2
Învățământ aprox. 315 m
education
Grăd.Bambi str.1
Învățământ aprox. 344 m
education
Colegiul Naţional George Coşbuc
Învățământ aprox. 362 m
Recreere
restaurants
Place Centrale
Restaurante aprox. 92 m
parks
Indoor garden
Recreere aprox. 176 m
shopping
Profi - Adina
Supermarket/Mall aprox. 250 m
shopping
Lidl
Supermarket/Mall aprox. 317 m

Proprietăți similare

Teren de 1800 mp, în Central
135.000 €
Cluj-Napoca, Central
1.800 mp teren
Teren de 3200 mp, în Central
149.900 €
Cluj-Napoca, Central
3.200 mp teren
Teren de 1680 mp, în Iris
149.000 €
Cluj-Napoca, Iris
1.680 mp teren
Teren de 6896 mp, în Borhanci
135.000 €
Cluj-Napoca, Borhanci
6.896 mp teren
Teren de 471 mp, în Zorilor
150.000 €
Cluj-Napoca, Zorilor
471 mp teren
Teren de 1113 mp, în Bună Ziua
135.000 €
Cluj-Napoca, Bună Ziua
1.113 mp teren
Teren de 702 mp, în Bună Ziua
145.000 €
Cluj-Napoca, Bună Ziua
702 mp teren
Teren intravilan de 1540 mp, în Făget
138.000 €
Cluj-Napoca, Făget
1.540 mp teren
Construcții
Teren de 857 mp, în Sopor
138.000 €
Cluj-Napoca, Sopor
857 mp teren

Abonează-te la newsletter să fii primul care primește cele mai noi recomandări de proprietăți și sfaturi de la experți.