Teren pentru casa/case in Brane?ti pe strada Topora?i

140.000 €
70 € / mp

Brăneşti, Judeţul Ilfov

Suprafață teren:
2.000 mp

Descriere teren

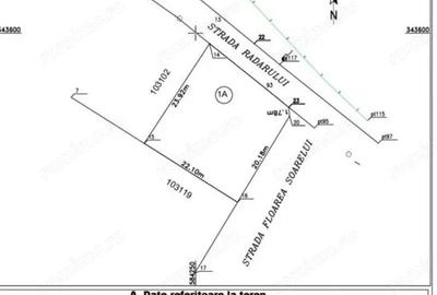
Apulum94 va ropune spre cumparare un teren de 2000 de metri patrati situat in localitatea Branesti pe strada Toporasi. Terenul este intravilan si avem certificat de urbanism valabil. Zona in care se afla terenul este gandita ca o zona de extindere a comunitatii locale si cei care locuiesc deja pe strada beneficiaza de toate utilitatile (apa, canal, curent, gaz, cablu, internet) la limita terenului avem stalpii de curent iar restul utiitatilor sunt la aropximativ 150ml de teren. Frontul stradal de aproximativ 20 de metri liniari permit si o lotizare. Terenul se vinde integral unui singur client sau unui grup de clienti. Proprietarii sunt persoane fizice, tranzactia nu presupune TVA dar se doreste perfectarea actelor de vanzare-cumparare intr-o singura etapa. Actele sunt la zi.Pentru mai multe detalii si programarea de vizionari nu ezitati sa ma conatactati, Daniel, Apulum94. Facilitam si achizitionarea prin credit ipotecar prin intermediul partenerilor, agentia imobiliara percepe un comision de 3% din pretul de tranzactionare si la vizionare se semneaza contract de prestari servicii.
Citește mai mult Citește mai puțin

Detalii teren

ID anunț: 1060412 Actualizat în: 25 Aprilie 2026
Suprafață teren: 2.000 mp
Front stradal: 19 m

Istoric preț

Puncte de interes

Recreere
parks
Parc
Recreere aprox. 507 m
parks
Loc de joaca
Recreere aprox. 508 m
parks
Loc de joaca
Recreere aprox. 1017 m

Proprietăți similare

Teren de 1200 mp, în Brănești
140.400 €
Județul Ilfov, Brănești
1.200 mp teren
Teren de 141000 mp, în Brănești
142.000 €
Județul Ilfov, Brănești
141.000 mp teren
Teren de 2809 mp, în Brănești
129.000 €
Județul Ilfov, Brănești
2.809 mp teren
Teren de 16000 mp, în Brănești
135.000 €
Județul Ilfov, Brănești
16.000 mp teren
Teren intravilan de 1543 mp, în Brănești
152.000 €
Județul Ilfov, Brănești
1.543 mp teren
Construcții
Teren intravilan de 1543 mp, în Brănești
151.214 €
Județul Ilfov, Brănești
1.543 mp teren
Construcții
Teren de 1200 mp, în Brănești
132.000 €
Județul Ilfov, Brănești
1.200 mp teren
Teren de 4000 mp, în Ordoreanu
128.000 €
Județul Ilfov, Ordoreanu
4.000 mp teren
Teren intravilan de 919 mp, în Nord-Vest
142.500 €
Județul Ilfov, Bragadiru
919 mp teren
Construcții

Abonează-te la newsletter să fii primul care primește cele mai noi recomandări de proprietăți și sfaturi de la experți.