Teren intravilan 2944 mp Rubinului/Bragadiru

956.800 €
325 € / mp

Bragadiru, Judeţul Ilfov

Suprafață teren:
2.944 mp

Descriere teren

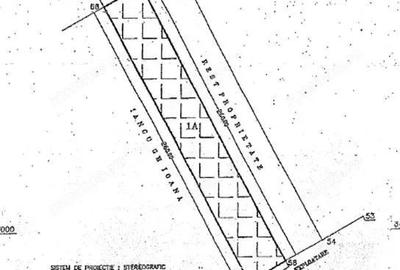
Ne face placere sa va prezentam un teren intravilan de 2944mp cu o deschidere generoasa de 25.73m(compus din 3 terenuri alipite) in zona Rubinului/Bragadiru. Asa cum este mentionat mai sus, terenul de 2944 este impartit in 3 terenuri alipite: 1)Teren intravilan 346mp (numar cadastral 123590) 1)Teren intravilan 952mp (numar cadastral 123591) 2)Teren intravilan 1646mp(numar cadastral 123592) Caracteristici teren: -> Procent de ocupare al terenului(POT):45% -> Coeficient de utilizare al terenului(CUT): 3 -> Regim de inaltime: P+2+M In pozele din anunt puteti gasi extrasele de carte funciara, impreuna cu schita fiecarui segment de teren. Este perfect pretabil investitional pentru realizarea unui residence. Terenul este racordat la toate utilitatile. IMPORTANT: Prin existenta unei deschideri de 25.73m la strada si datorita faptului ca exista un drum de servitute cu o deschidere de 4m, dumneavoastra beneficiati de o deschidere de 21.73m IMPORTANT: Terenul(compus din cele 3) se vinde integral, nu se poate achizitiona doar o singura bucata de teren. Strada Rubinului este in continua dezvoltare, cat de curand strada urmeaza sa fie asfaltata, zona fiind perfect pretabila pentru dezvoltare imobiliara. In proximitate, la doar 700 de metri de teren, exista statia de autobuz Rubinului care face legatura cu linia lui 485. In eventualitatea in care doriti sa achizitionati acest teren utilizand un credit ipotecar, va putem oferi solutii inteligente de finantare(fiind in colaborare cu brokeri de credite profesionisti). Comision cumparator: 0% Daca v-am starnit interesul cu acest teren, nu ezitati sa ne contactati pentru a stabili o vizionare! ID anun? : 1763783525
Citește mai mult Citește mai puțin

Detalii teren

ID anunț: 2783074 Actualizat în: 25 Februarie 2026
Suprafață teren: 2.944 mp
Front stradal: 25 m

Istoric preț

Proprietăți similare

Teren intravilan de 35000 mp, în Central
875.000 €
Județul Ilfov, Bragadiru
35.000 mp teren
Construcții
Teren de 10800 mp, în Central
961.200 €
Județul Ilfov, Bragadiru
10.800 mp teren
Teren de 6200 mp, în Haliu
930.000 €
Județul Ilfov, Bragadiru
6.200 mp teren
Teren intravilan de 7383 mp, în Nord
875.000 €
Județul Ilfov, Bragadiru
7.383 mp teren
Construcții
Teren de 25000 mp, în Central
925.000 €
Județul Ilfov, Popești-Leordeni
25.000 mp teren
Teren de 6050 mp, în Dobroești
907.500 €
Județul Ilfov, Dobroești
6.050 mp teren
Teren de 32500 mp, în Tunari
975.000 €
Județul Ilfov, Tunari
32.500 mp teren
Teren de 17900 mp, în Măgurele
900.000 €
Județul Ilfov, Măgurele
17.900 mp teren
Teren de 9130 mp, în Tunari
915.000 €
Județul Ilfov, Tunari
9.130 mp teren

Abonează-te la newsletter să fii primul care primește cele mai noi recomandări de proprietăți și sfaturi de la experți.