
4 săptămâni în urmă
13
- Agenție
Teren intravilan 1.585 mp, cu utilități la hotar –Gherghița–Ungureni
35.000 €
Ungureni (Gherghița), Județul Prahova
Descriere
Raportează anunț
Sesizează o problemă
Teren intravilan 1.585 mp, cu utilități la hotar –Gherghița–Ungureni
Teren intravilan 1.585 mp, cu utilități la hotar –Gherghița–Ungureni
Mirva Imobiliare – EXCLUSIVITATE
Teren intravilan de vânzare – Comuna Gherghița, Sat Ungureni
Locație:
Terenul este amplasat într-o zonă liniștită, cu acces direct la drum asfaltat, în apropiere de Biserică, magazin general, case și vile deja construite – semn clar că vorbim despre o comunitate dezvoltată și activă.
Caracteristici:
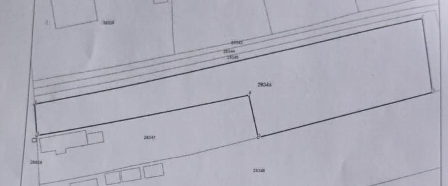
Suprafață: 1.585 mp
Deschidere: 9,16 ml
Împrejmuit – delimitare și securitate deja asigurate
Certificat de urbanism valabil
Utilități:
Gaz, apă și curent electric la hotar
Drum asfaltat – acces facil indiferent de sezon
Avantaje & Posibilități:
Ideal pentru construirea unei case familiale sau a unei vile de vacanță
Poziție bună pentru o investiție pe termen lung
Zonă liniștită, dar cu toate utilitățile la îndemână
Preț: 35.000 € – negociabil
Citește mai mult
Citește mai puțin
ID anunț: 8076957
Actualizat în: 01 Octombrie 2025
Suprafață teren:
1.585 mp
Front stradal:
9.1599998474121 m
Istoric preț
Utilități
Utilități
Apă
Gaze
Facilități
Utilități în zonă
Proprietăți similare
Abonează-te la newsletter să fii primul care primește cele mai noi recomandări de proprietăți și sfaturi de la experți.