Timisoara Nord - Sanandrei - Industrial: 7923 mp - P.U.Z. - utilitati complete

€ 420.000
53.01 € / mp

Exterior Nord, Timişoara

Suprafață teren:
7.923 mp

Descriere

Raportează anunț

Timisoara Nord - Sanandrei - Industrial: 7923 mp - P.U.Z. - utilitati complete

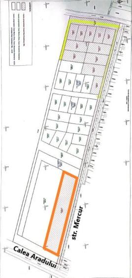
Sanandrei, situat în județul Timiș, România, este un hub industrial în creștere, cu oportunități ample pentru afaceri. Localitatea este localizata in zona metropolitana a municipiului Timisoara, la 5 km Nord de aceasta, cu acces ușor la autostrăzile majore, ceea ce îl face o alegere ideală pentru investitorii care doresc să își stabilească prezența în regiune. Loturile industriale din Sanandrei sunt spațioase, oferind spațiu amplu pentru extindere și creștere. Localitatea are, de asemenea, o forță de muncă calificată și un mediu de afaceri favorabil, oferind o bază solidă pentru companiile dintr-o varietate de industrii. Cu condițiile sale favorabile de afaceri și opțiunile imobiliare accesibile, Sanandrei este o alegere excelentă pentru companiile care doresc să investească în Timis. IM Imobiliare ofera spre vanzare parcele de teren industrial, cu P.U.Z., situat in Sanandrei, invecinate cu noua descarcare urcare/coborare de pe A1 (drum in lucru), Centura Nord Timisoara, Aeroport Timisoara, Ikea (7 km); Mahle (4km); Sameday (4km), Banat Business Park (500 m) Parcela are 7923 mp si are 2 frontui stradale (C.Aradului si str.Mercur) care cumuleaza 236 metri liniari - acces auto asfaltat de pe DN69 Timisoara - Arad - destinatiile permise sunt industria usoara curata, logistica, depozitare, servicii, retail, birouri, unitati administrative; - utilitati complete la limita parcelei(gaz, curent, apa) Coeficienti urbanistici: - P.O.T. max - 55% - C.U.T max - 2% - destinatiile permise sunt industria usoara curata, logistica, depozitare, servicii, retail, birouri, unitati administrative; - utilitati complete la limita parcelei (gaz, curent, apa) Mai multe informatii, la cerere: Raul -
0720.**** Vezi tot numărul
Citește mai mult Citește mai puțin
ID anunț: 744785 Actualizat în: 11 Septembrie 2025
Suprafață teren: 7.923 mp
Front stradal: 236 m

Istoric preț

Utilități

Utilități
Apă Gaze

Proprietăți similare

Teren Construcții intravilan de 822 mp, în Lipovei
€ 445.000
Timișoara, Lipovei
822 mp teren
Construcții
Teren Construcții intravilan de 1500 mp, în Fratelia
€ 449.000
Timișoara, Fratelia
1.500 mp teren
Construcții
Teren Construcții intravilan de 10000 mp, în Șagului
€ 400.000 + TVA
Timișoara, Șagului
10.000 mp teren
Construcții
Teren Construcții intravilan de 1300 mp, în Freidorf
€ 399.900 + TVA
Timișoara, Freidorf
1.300 mp teren
Construcții
Teren Construcții de 8378 mp, în Freidorf
€ 418.900
Timișoara, Freidorf
8.378 mp teren
Teren Construcții de 882 mp, în Spitalul Județean
€ 395.000
Timișoara, Spitalul Județean
882 mp teren
Teren Construcții intravilan de 7150 mp, în Șagului
€ 384.990
Timișoara, Șagului
7.150 mp teren
Construcții
Teren Construcții intravilan de 8540 mp, în Plopi
€ 399.999
Timișoara, Plopi
8.540 mp teren
Construcții
Teren Construcții de 1583 mp, în Dumbrăvița
€ 395.750
Județul Timiș, Dumbrăvița
1.583 mp teren

Abonează-te la newsletter să fii primul care primește cele mai noi recomandări de proprietăți și sfaturi de la experți.