 
            
                            
                    
            
                3 luni în urmă            
        
                    
                
                                    
                
                    1
                
            
            - Proprietar
- Comision 0%
1
Terenuri Techirghiol Vind un terenIn intravilan
                
                    32.000 €
                    
                                    
            
        
            Techirghiol, Județul Constanța
Descriere
        
        Raportează anunț
    
    
    
    
        
        
            
            
            
                
            
                                    
                            
        
        
    
                                        Sesizează o problemă
Terenuri Techirghiol Vind un terenIn intravilan
Terenuri Techirghiol Vind un terenIn intravilan
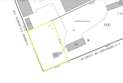
                                            Terenul are numarul cadastru 101472
                                        
                                        
                                            
                                                Citește mai mult
                                                Citește mai puțin
                                            
                                        
                                    
            
                ID anunț: 4308656
            
                            
                    Actualizat în: 11 Septembrie 2025
                
                    
        
                            
                                Suprafață teren:
                            
                            
                                400 mp
                            
                        
                                                                                
                            
                                Tip teren:
                            
                            
                                Construcții
                            
                        
                                                                                
                            
                                Clasificare teren:
                            
                            
                                Intravilan
                            
                        
                                                                                
                            
                                Front stradal:
                            
                            
                                16 m
                            
                        
                                    
                            Proprietăți similare
Abonează-te la newsletter să fii primul care primește cele mai noi recomandări de proprietăți și sfaturi de la experți.
Căutări similare
- Terenuri construcții de vânzare în Techirghiol
- Terenuri construcții de vânzare în Constanța
- Terenuri construcții de vânzare în Costinești
- Terenuri construcții de vânzare în Agigea
- Terenuri construcții de vânzare în Mamaia-Sat
- Terenuri construcții de vânzare în Ovidiu
- Terenuri construcții de vânzare în Cumpăna
- Terenuri construcții de vânzare în Tuzla
- Terenuri construcții de vânzare în Lazu
- Terenuri construcții de vânzare în Mamaia
- Terenuri construcții de vânzare în Valu lui Traian
- Terenuri construcții de vânzare în Năvodari
 
                            
                            
                                             
                     
             
             
             
             
             
             
             
            