TEREN INTRAVILAN Strategic - 1.243 mp – Casa Presei - Zonă CB3

950 €
0.76 € / mp

Dămăroaia, Bucureşti

Suprafață teren:
1.243 mp
Tip teren:
Construcții

Descriere teren

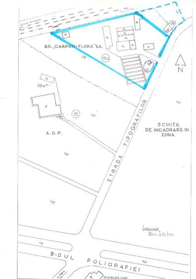
TEREN INTRAVILAN Strategic pentru Dezvoltare Birouri 1.243 mp – Casa Presei / Str. Tipografilor – Zonă CB3 BUCURESTI VANZARE PRET 950 Euro/mp. Maria tel: ; email: Situare: Str. Tipografilor, nr. 30, sector 1- zona Casei Presei Libere - Taverna Sirbului Suprafata 1243 mp Deschidere 35 ml – in strada Tipografilor Vecini ▪ Nord – Teren Casa Presei Libere – 48m ▪ Est – parcare Taverna Sirbului – 23m ▪ Vest – Proprietate particulara – 45 ml ▪ Sud – str. Tipografilor - 35 ml Facilitati ▪ Energie electrica – post trafo – trifazic in apropiere ▪ Canalizare – racord la Casa Presei Libere ▪ Gaze naturale –posibilitate racord individual Disponibilitate - imediat ( liber de constructii ) Descriere: Oportunitate de investiție în zona de Nord a Bucureștiului! Vă propunem spre achiziție un teren de 1.243 mp, situat într-o locație cu vizibilitate maximă și potențial comercial uriaș, pe Strada Tipografilor nr. 30, în imediata vecinătate a Casei Presei Libere. Detaliile proprietății: Suprafață: 1.243 mp, formă regulată. Deschidere: 35 ml la stradă, ideală pentru acces logistic sau reprezentativitate. Inălțime & Indicatori: Zonă CB3 (pol urban principal), POT 65%, CUT 4.5. Permite dezvoltarea unei clădiri de birouri cu regim P+4 (sau superior, conform studiului de volumetrie). Facilități: Utilități complexe în proximitate (curent trifazic, canalizare racordabilă direct la Casa Presei, gaze). Stare: Teren liber de construcții, disponibil imediat. Poziționare și Strategie: Amplasat strategic lângă Taverna Sârbului, într-un pol de business consacrat. Valoare adăugată: Terenul este situat pe culoarul viitoarei Autostrăzi Urbane (Inelul Median), care va lega Lacul Morii de Șoseaua Colentina. Acest proiect de infrastructură va transforma zona într-un hub logistic și de afaceri ultra-conectat, oferind un potențial de apreciere semnificativ al investiției. Condiții comerciale: Preț actual: 950 €/mp (redus de la 1.200 €/mp). Proprietate pretabilă pentru clădiri de birouri, clinici private, sedii corporate. Conform reglementărilor urbanistice (PUG Municipiul București), zona CB3 – Zona polilor urbani principali este o zonă cu caracter mixt și intens, destinată dezvoltării funcțiunilor de mare interes. Iată structura utilizărilor pentru această zonă: 1. Utilizări Admise Instituții și servicii: Sedii de birouri, administrație, bănci, instituții financiare. Comerț și divertisment: Centre comerciale, magazine de diverse dimensiuni, săli de conferințe, cinematografe, săli de spectacole, restaurante, cafenele. Sport: Săli de sport acoperite, baze sportive. Învățământ: Învățământ superior și centre de formare profesională. Locuințe: Locuințe cu partiu special (potrivite pentru profesiuni liberale). 2. Utilizări Admise cu Condiționări Activități mixte: Se admite mixul între locuire și funcțiuni comerciale/birouri, cu condiția ca activitățile comerciale să nu creeze disconfort pentru locatari (zgomot, noxe, trafic intens). Servicii anexe: Se admit activități complementare (curățătorii, servicii de reparații) doar dacă sunt integrate în clădirile principale și nu generează trafic greu. 3. Utilizări Interzise Activități industriale: Orice activitate productivă poluanta, cu risc tehnologic sau care generează trafic greu (incompatibilă cu polul urban). Depozitare: Depozitare en-gros, depozite de materiale refolosibile, platforme de precolectare a deșeurilor urbane. Construcții: Orice construcții provizorii (barăci, chioșcuri neautorizate). Terasamente: Lucrări care pot afecta stabilitatea terenurilor învecinate. Amenajări exterioare neconforme: Amplasarea firidelor de utilități (electricitate/gaze) pe fațadele principale, instalarea aparatelor de aer condiționat pe fațadele către stradă. Nu rata această ocazie unică! Contactează-ne astăzi pentru detalii suplimentare și programarea unei vizionări. Nu rata această ocazie unică! Contactează-ne astăzi pentru detalii suplimentare și programarea unei vizionări.
Citește mai mult Citește mai puțin

Detalii teren

ID anunț: Actualizat în: 28 Aprilie 2026
Suprafață teren: 1.243 mp
Tip teren: Construcții
Clasificare teren: Intravilan

Facilități

Comision
3%

Puncte de interes

Mijloace transport
transport
statie Combinatul Fondului Plastic 148, 149, 112
Mijloace transport aprox. 416 m
transport
Statie RATB : City Center - Linii: 148,149,331,112
Mijloace transport aprox. 438 m
transport
Statie RATB : City Center - Linii: 148,149,331,112
Mijloace transport aprox. 464 m
transport
Statie RATB : Casa Presei Libere - Linii:148,149, 331,112,
Mijloace transport aprox. 469 m
Școală
education
Grup Scolar de arte si meserii Dimitrie Paciurea
Învățământ aprox. 495 m
education
Grup scolar de arte si meserii Dimitrie Paciurea
Învățământ aprox. 520 m
education
THR - CG (tourism hotel school) (en)
Învățământ aprox. 744 m
education
Scoala Europeana
Învățământ aprox. 870 m
Recreere
restaurants
Taverna Sarbului
Restaurante aprox. 189 m
parks
Teren sportiv
Recreere aprox. 409 m
shopping
Complex Flora(Puzdrea)
Supermarket/Mall aprox. 488 m
shopping
Mega Image
Supermarket/Mall aprox. 644 m

Proprietăți similare

Teren Construcții intravilan de 705 mp, în Băneasa
1.000 €
București, Băneasa
705 mp teren
Construcții

Abonează-te la newsletter să fii primul care primește cele mai noi recomandări de proprietăți și sfaturi de la experți.