Exclusivitate, Teren/Casa Aviatorilor - Prezan, 300 mp

1.500.000 €
5,000.00 € / mp

Aviatorilor, Bucureşti

Suprafață teren:
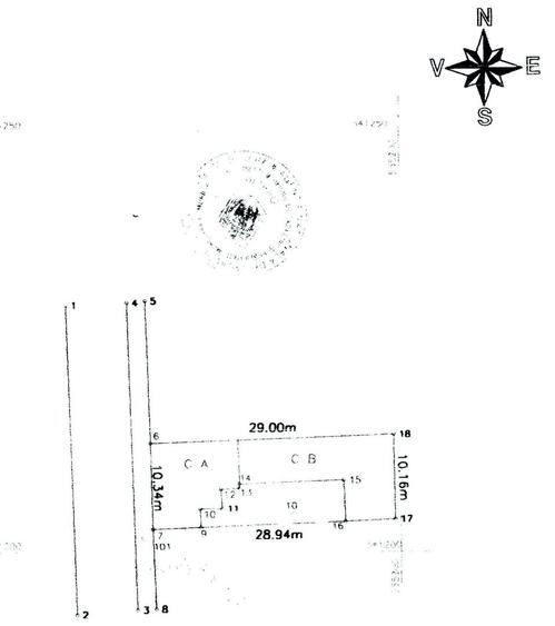
300 mp
Tip teren:
Construcții

Descriere teren

Pe teren se afla mai multe corpuri de cladire, insumand o suprafata construita de 450 mp. Cladirile pot fi folosite pentru suprainaltare/extindere, sau pot fi demolate, in functie de ceea ce va dori viitorul proprietar. Se afla la 100 m de intrarea in Parcul Herastrau.
Citește mai mult Citește mai puțin
Electricitate Apă Canalizare

Detalii teren

ID anunț: 1725057 Actualizat în: 01 Aprilie 2026
Suprafață teren: 300 mp
Tip teren: Construcții
Clasificare teren: Intravilan
Front stradal: 10.340000152588 m

Istoric preț

Facilități

Utilități
Curent Apă Canalizare
Amenajare străzi
Iluminat stradal Mijloace de transport în comun Asfaltate

Puncte de interes

Mijloace transport
transport
Statie metrou Aviatorilor
Mijloace transport aprox. 149 m
transport
Piata Aviatorilor (M2)
Mijloace transport aprox. 309 m
transport
Statia Piata Charlles de Gaulle linii : 131,282,301,330,331,335.
Mijloace transport aprox. 388 m
transport
Statia Arcul de Triumf, linia 131,282,330,331,335,783
Mijloace transport aprox. 443 m
Școală
education
Scoala ambasadei Federatiei Ruse
Învățământ aprox. 464 m
education
Gradinita cu program normal ""Ge Ce Pic Englishkinder"
Învățământ aprox. 531 m
education
Gradinita de copii nr.52
Învățământ aprox. 554 m
education
Gradinita de Copii Nr. 52
Învățământ aprox. 557 m
Recreere
parks
Intrarea in parcul Herastrau
Recreere aprox. 71 m
restaurants
Quattro Stagioni, Restaurant (en)
Restaurante aprox. 129 m
shopping
Mega Image
Supermarket/Mall aprox. 467 m
shopping
Nic Dorobanti Non-Stop
Supermarket/Mall aprox. 1070 m

Proprietăți similare

Teren Construcții intravilan de 2800 mp, în Băneasa
1.400.000 €
București, Băneasa
2.800 mp teren
Construcții
Teren Construcții intravilan de 1774 mp, în Iancu Nicolae
1.500.000 €
București, Iancu Nicolae
1.774 mp teren
Construcții
Teren Construcții intravilan de 2500 mp, în Sisești
1.600.000 €
București, Sisești
2.500 mp teren
Construcții
Teren Construcții intravilan de 1774 mp, în Iancu Nicolae
1.500.000 €
București, Iancu Nicolae
1.774 mp teren
Construcții
Teren Construcții intravilan de 10000 mp, în Pipera
1.500.000 €
București, Pipera
10.000 mp teren
Construcții
Teren Construcții intravilan de 1800 mp, în Aviației
1.350.000 €
București, Aviației
1.800 mp teren
Construcții
Teren Construcții de 2070 mp, în Pipera
1.600.000 €
București, Pipera
2.070 mp teren
Construcții
Teren Construcții intravilan de 2000 mp, în Străulești
1.395.000 €
București, Străulești
2.000 mp teren
Construcții
Teren Construcții intravilan de 1774 mp, în Iancu Nicolae
1.507.900 €
București, Iancu Nicolae
1.774 mp teren
Construcții

Abonează-te la newsletter să fii primul care primește cele mai noi recomandări de proprietăți și sfaturi de la experți.