Teren intravilan loturi intre 500 si 1000 m la 14 km de Rasnov

€ 23.800
47.60 € / mp

Râşnov, Judeţul Braşov

Suprafață teren:
500 mp
Tip teren:
Construcții

Descriere

Raportează anunț

Teren intravilan loturi intre 500 si 1000 m la 14 km de Rasnov

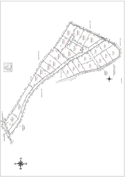
Vindem loturi cuprinse intre 500 si 800 mp in zona Zornesti-Tohanita, la 14 km de Rasnov, cu priveliste asupra muntilor Bucegi si Piatra Craiului. Terenul este situat intr-o zona linistita fiind pretabil pentru construirea de case de vacanta . Accesul la teren se face pe un drum pietruit . Utilitati: curent la limita terenului , gazul la 400 m de teren Este intravilan si are :Carte funciara, Cadastru actualizat si Certificat de urbanism pentru informare. Loturile au suprafata cuprinsa intre 500 si 800 mp.Daca se doreste o suprafata mai mare se pot achizitiona mai multe loturi alaturate. Sunt disponibile loturi cu suprafata de 500 mp si cu preturi incepand cu 14800 euro astfel: Lot 1 700 mp 34800 euro Vandut Lot 2 1000 mp 39000 euro Vandut Lot 3 500 mp 25800 euro Liber Lot 4 500 mp 25800 euro Liber Lot 5 500 mp 27800 euro Liber Lot 6 750 mp 38500 Vandut Lot 7 802 mp 36000 Vandut Lot 8-597 mp 27800 Vandut Lot 9-700 mp 29000 Vandut Lot 10-700 mp 27000 Vandut Lot 11-655 mp 15800 Vandut Lot 12-600 mp 17800 Vandut Lot 13-600 mp 19900 Vandut Lot 14-804 mp 25500 Vandut Lot 15 500 mp 16800 euro Vandut Lot 16 500 mp 14800 euro Vandut Lot 17 741 mp 21800 euro Vandut Lot 18 500 mp 18800 euro Vandut Lot 19 500 mp 19800 euro Vandut Lot 20 622 mp 25500 euro Vandut Lot 21 621 mp 25500 euro Vandut Lot 22 500 mp 23800 euro Liber Lot 23 500 mp 23800 euro Liber Lot 24 500 mp 23800 euro Liber Preturile de mai sus contin TVA 21%.In situatia in care cumpararea terenului se face de catre o firma platitoare de TVA preturile de mai sus vor fi cu 21% mai mici. Conform PUG-ui(Planului Urbanistic General) suprafata minima pe care se poate construi case de locuit si de agrement cu dotarile aferente in aceasta zona este de 500 mp (terenul apartine de Zarnesti si de aceea se poate construi pe suprafete de 500 mp). Pentru locuinte regimul de inaltime poate varia intre S+P,S+P+1,S+P+M. -Procentul de ocupare al terenului(POT): maxim 35% -Coeficientul de utilizre a terenului(CUT): maxim 0,85 Nu percepem comision .
Citește mai mult Citește mai puțin
ID anunț: 24925 Actualizat în: 10 Noiembrie 2025
Suprafață teren: 500 mp
Tip teren: Construcții
Clasificare teren: Intravilan

Istoric preț

Utilități

Facilități
Utilități în zonă

Proprietăți similare

Teren Construcții intravilan de 1000 mp, în Apața
€ 22.500
Județul Brașov, Apața
1.000 mp teren
Construcții
Teren Construcții intravilan de 655 mp, în Satu Nou
€ 26.000
Județul Brașov, Satu Nou
655 mp teren
Construcții
Teren Construcții intravilan de 2932 mp, în Central
€ 22.000
Brașov, Central
2.932 mp teren
Construcții
Teren Construcții extravilan de 1800 mp, în Dejani
€ 21.600
Județul Brașov, Dejani
1.800 mp teren
Construcții
Teren Construcții intravilan de 500 mp, în Tărlungeni
€ 25.500
Județul Brașov, Tărlungeni
500 mp teren
Construcții
Teren Construcții intravilan de 600 mp, în Exterior Est
€ 24.000
Județul Brașov, Făgăraș
600 mp teren
Construcții
Teren Construcții intravilan de 1100 mp, în Hurez
€ 24.500
Județul Brașov, Hurez
1.100 mp teren
Construcții
Teren Construcții intravilan de 2740 mp, în Gura Văii
€ 23.500
Județul Brașov, Gura Văii
2.740 mp teren
Construcții
Teren Construcții intravilan de 2000 mp, în Drăguș
€ 25.000
Județul Brașov, Drăguș
2.000 mp teren
Construcții

Abonează-te la newsletter să fii primul care primește cele mai noi recomandări de proprietăți și sfaturi de la experți.