Teren intravilan Rasnov,judet Brasov,loturi de 500 mp si in rate

12.500 €
25 € / mp

Râşnov, Judeţul Braşov

Suprafață teren:
500 mp
Tip teren:
Construcții

Descriere teren

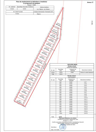
Loturile sunt situate in Rasnov, zona Romacril. Loturiele de teren sunt intravilane agricole , fara PUZ. Se vand fara PUZ. Elaborarea si aprobarea PUZ-ui (daca se doreste sa se construiasca pe aceste loturi) va fi in sarcina cumparatorilor. Drumul de acces dintre loturi va avea 9 metrii latime si fiecare cumparator va avea si o cota parte din lotul de teren cu destinatie de drum. Pentru a vedea disponibilitatea si pozitia terenului consultati schitele atasate. Exista si varianta vanzarii in rate.Avansul la plata in rate este de 35%(din preturile de mai jos) iar diferenta poate fi platita in rate lunare/trimestriale pe un an de zile. La plata integrala la preturile de mai jos se ofera o reducere de 10% daca se cumpara un lot si de 15% daca se cumpara de la 2 loturi in sus. Lotul 1 :500 mp Pret 15800 euro Vandut Lotul 2 :500 mp Pret 15800 euro Vandut Lotul 3 :500 mp Pret 15800 euro Vandut Lotul 4 :500 mp Pret 15800 euro Vandut Lotul 5 :500 mp Pret 15800 euro Vandut Lotul 6 :500 mp Pret 15800 euro Vandut Lotul 7 :500 mp Pret 15800 euro Vandut Lotul 8 :500 mp Pret 15800 euro Vandut Lotul 9 :500 mp Pret 15500 euro Vandut Lotul 10 :500 mp v Pret 15500 euro Vandut Lotul 11 :500 mp Pret 15500 euro Liber Lotul 12 :500 mp Pret 15500 euro Liber Lotul 13 :500 mp Pret 15000 euro Liber Lotul 14 :500 mp Pret 15000 euro Vandut Lotul 15 :500 mp Pret 14500 euro Vandut Lotul 16 :500 mp, Pret 13900 euro Vandut Lotul 17:500 mp Pret 13900 euro Vandut Lotul 18:948 mp Pret 18900 euro Liber Nu se percepe comision de la cumparator
Citește mai mult Citește mai puțin

Detalii teren

ID anunț: 24939 Actualizat în: 25 Martie 2026
Suprafață teren: 500 mp
Tip teren: Construcții
Clasificare teren: Intravilan
Front stradal: 16 m

Istoric preț

Facilități

Amenajare străzi
Pietruite De pământ
Alte caracteristici
Parcelabil La șosea Acces auto

Puncte de interes

Mijloace transport
transport
Rasnov h.
Mijloace transport aprox. 735 m
transport
Rasnov
Mijloace transport aprox. 1815 m
Școală
education
Scoala gimnaziala nr. 3
Învățământ aprox. 1141 m
education
Liceul Tehnologic Rasnov
Învățământ aprox. 1786 m
Recreere
restaurants
OMV
Restaurante aprox. 1128 m
shopping
Mini Market
Supermarket/Mall aprox. 1396 m
shopping
Penny Market
Supermarket/Mall aprox. 1605 m
restaurants
Bistro Sub Cetate
Restaurante aprox. 1935 m

Proprietăți similare

Teren Construcții intravilan de 550 mp, în Rotbav
12.500 €
Județul Brașov, Rotbav
550 mp teren
Construcții
Teren Construcții intravilan de 500 mp, în Periferie
12.500 €
Brașov, Periferie
500 mp teren
Construcții
Teren Construcții intravilan de 500 mp, în Cristian
12.500 €
Județul Brașov, Cristian
500 mp teren
Construcții
Teren Construcții extravilan de 6400 mp, în Babarunca
12.800 €
Județul Brașov, Săcele
6.400 mp teren
Construcții

Abonează-te la newsletter să fii primul care primește cele mai noi recomandări de proprietăți și sfaturi de la experți.