Eforie Sud, primul la MARE, teren intravilan 1.200mp de vanzare

420.000 €
350 € / mp

Eforie Sud, Judeţul Constanţa

Suprafață teren:
1.200 mp
Tip teren:
Construcții

Descriere teren

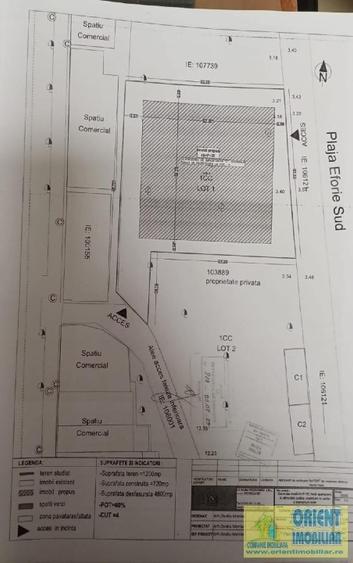
(cod7562) | EFORIE SUD, PRIMUL LA MARE, teren intravilan construibil, suprafata 1.200mp, deschidere 34mp. Terenul se prezinta in Panta si are vedere FRONTALA LA MARE. Detine certificat de URBANISM, 4S+P+2E pentru Hotel, apartament cu alimentatie publica, POT max 60%, CUT max 4. Zona este in centrul statiunii, cadastru si intabulare. PROPRIETAR persoana juridica. Pret 350 Euro/mp+TVA (+2% comisionul agentiei). Pentru mai multe detalii sunati la numarul de telefon . Anunt publicat de agentia ORIENT IMOBILIAR.
Citește mai mult Citește mai puțin
Electricitate Apă Gaz

Detalii teren

Actualizat în: 11 Mai 2026 ID anunț: 1221776
Suprafață teren: 1.200 mp
Tip teren: Construcții
Clasificare teren: Intravilan
Front stradal: 34 m

Facilități

Utilități
Cablu Gaze Curent Apă
Comision
2%

Puncte de interes

Mijloace transport
transport
Gara Eforie Sud
Mijloace transport aprox. 739 m
transport
Gara Eforie Sud
Mijloace transport aprox. 739 m
transport
Constanta Metropolitan "Eforie Sud" Bus Station (en)
Mijloace transport aprox. 962 m
Recreere
restaurants
Gloria Restaurant (en)
Restaurante aprox. 175 m
parks
Parc
Recreere aprox. 306 m
parks
Teren sportiv
Recreere aprox. 635 m
shopping
Supermarket
Supermarket/Mall aprox. 701 m

Proprietăți similare

Teren Construcții intravilan de 1200 mp, în Central
420.000 €
Județul Constanța, Eforie Sud
1.200 mp teren
Construcții
Teren Construcții intravilan de 1500 mp, în Km 5
417.450 €
Constanța, Km 5
1.500 mp teren
Construcții
Teren Construcții intravilan de 24786 mp, în Zona Industrială
417.268 €
Constanța, Zona Industrială
24.786 mp teren
Construcții
Teren Construcții intravilan de 8100 mp, în Central
445.500 €
Județul Constanța, Costinești
8.100 mp teren
Construcții
Teren Construcții intravilan de 4500 mp, în Brătianu
450.000 €
Constanța, Brătianu
4.500 mp teren
Construcții
Teren Construcții intravilan de 530 mp, în Boreal
431.909 €
Constanța, Boreal
530 mp teren
Construcții
Teren Construcții intravilan de 600 mp, în Ultracentral
450.000 €
Județul Constanța, Mamaia-Sat
600 mp teren
Construcții
Teren Construcții intravilan de 2200 mp, în Vama Veche
437.800 €
Județul Constanța, Vama Veche
2.200 mp teren
Construcții
Teren Construcții extravilan de 40000 mp, în Mihail Kogălniceanu
400.000 €
Județul Constanța, Mihail Kogălniceanu
40.000 mp teren
Construcții

Abonează-te la newsletter să fii primul care primește cele mai noi recomandări de proprietăți și sfaturi de la experți.