În acest moment, nu se primesc cereri pentru această proprietate. Vă sugerăm să verificați alte oferte similare disponibile.
Vezi anunțuri
1 lună în urmă
Teren intravilan 822 m.p. Constanta str.Nicolae Iorga 24B-pret 450.000 Euro
450.000 €
547.45 €
/ mp
Tomis II, Constanţa
Descriere teren
Sesizează o problemă
Specificații
Suprafata terenului
822 MP
Amenajare strazi
Asfaltate, Betonate, Iluminat stradal, Mijloace de transport in comun
Alte caracteristici
La sosea, Oportunitati de investitie
Descriere
Adresă: Strada Nicolae Iorga nr. 24B, mun. Constanta, jud. Constanta
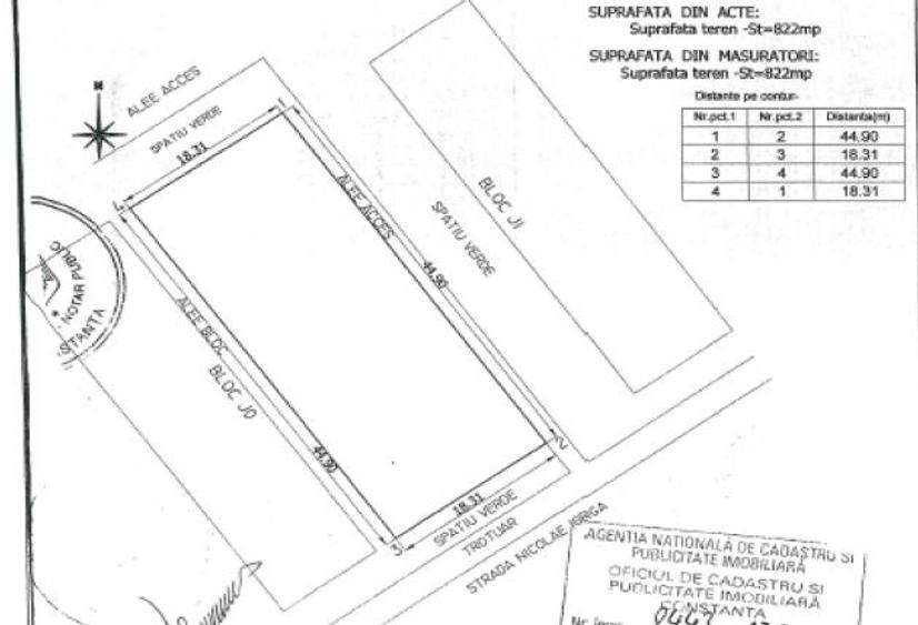
Suprafață teren: 822 m.p
Preț vânzare: 450.000 EUR
Teren intravilan, avand categoria de folosinta curti- constructii, situat in Mun.Constanta, pe strada Nicolae Iorga 24B, fiind o zona semicentrala a Mun.Constanta, liber de construcții, având o suprafață totală de 822 m.p.. Terenul prezinta deschidere de 18.31 metri la strada Nicolae Iorga, o deschidere dubla la doua alei de 44,90 metri fiecare si o deschidere de 18,31 metri la aleea de
acces. Se afla in apropierea Parcului Tomis 2.
Zona este predominant formata din blocuri de locuinte si locuinte unifamiliale. Proprietatea are acces la caile de transport in comun: linii de autobuz, linii de maxi
taxi. Zona din imediata vecinatate a proprietatii poate fi caracterizata ca linistita. Amplasarea terenului in cadrul zonei este favorabila. Proprietatea beneficiaza de utilitatile prezente in zona (electricitate, apa, canalizare si gaz). Proprietatea este imprejmuita gard din plasa metalica.
Proprietatea beneficiaza de invecinarea apropiata cu urmatoarele puncte de interes:
Parcul Tomis 2- aproximativ 700 m
Regia Autonoma Judeteana de Apa
Grupul Scolar George Emil Palade
Spitalul Judetean Constanta-500 m
Politia jud. Constanta, etc
Avand in vedere certificatul de urbanism nr. 1513 25.05.2023 eliberat de Primaria Municipiului Constanta coeficienti urbanistici ai terenului sunt: POT MAX 30%, CUT MAX 1,50.
Destinatia terenului stabilita prin planurile de urbanism si amenajare a teritorirului- conform PUG se afla in zona SRL 4- subzone de locuinte collective medii, avand regim de inaltime aprobat P+3 e- 4 etaje situate in ansambluri preponderent rezidentiale.
Utilizari admise locuinte in proprietate privata si locuinte sociale; constructii aferente echiparii tehnico edilitate- amenajjari aferente locuintelor- cai de acces carosabile si pietonale private, parcaje, garaje, spatii plantate, locuri de joaca pentru copii, amenajari de sport pentru tineret, imprejumuri.
Teren intravilan ideal pentru investiție. Amplasarea într-o zonă aflată în plină dezvoltare oferă un potențial ridicat de valorificare pe termen scurt și mediu, fiind ideal pentru dezvoltatori, investitori sau companii care urmăresc extinderea activităților zona semicentrala a Constantei.
Pret de vanzare: 450.000 Euro.
Citește mai mult
Citește mai puțin
Detalii teren
ID anunț:
Actualizat în: 13 Ianuarie 2026
Suprafață teren:
822 mp
Tip teren:
Construcții
Clasificare teren:
Intravilan
Facilități
Comision
0%
Puncte de interes
Mijloace transport
Spitalul Judetean [2-43
Mijloace transport
aprox.
127
m
Statia Spitalul Judetean; Linia 42
Mijloace transport
aprox.
194
m
Spitalul Judetean [42]
Mijloace transport
aprox.
194
m
Spitalul Judetean [42
Mijloace transport
aprox.
210
m
Școală
Gradinita cu Program Prelungit Nr. 8
Învățământ
aprox.
66
m
Şcoala cu Clasele I-VIII "Nicolae Iorga"
Învățământ
aprox.
215
m
Gimnaziul Colegiului National Mircea cel Batrân
Învățământ
aprox.
273
m
Gradinita " Casuta cu povesti"
Învățământ
aprox.
361
m
Recreere
Profi
Supermarket/Mall
aprox.
157
m
Parcul Tomis
Recreere
aprox.
281
m
Vintage
Restaurante
aprox.
284
m
Perla
Supermarket/Mall
aprox.
712
m
Abonează-te la newsletter să fii primul care primește cele mai noi recomandări de proprietăți și sfaturi de la experți.
Căutări similare
- Terenuri construcții de vânzare în Tomis II
- Terenuri construcții de vânzare în Constanța
- Terenuri construcții de vânzare în Km 5
- Terenuri construcții de vânzare în Palazu Mare
- Terenuri construcții de vânzare în Boreal
- Terenuri construcții de vânzare în Kamsas
- Terenuri construcții de vânzare în Viile Noi
- Terenuri construcții de vânzare în Aurel Vlaicu
- Terenuri construcții de vânzare în Km 4-5
- Terenuri construcții de vânzare în Tomis Nord
- Terenuri construcții de vânzare în Tomis Plus
- Terenuri construcții de vânzare în Primo