
1 săptămână în urmă
13
- Agenție
- Comision 0%
Ioan Bogdan Giurgiu
27.000 €
Actualizat pe: 05 Oct 2025
-
Parcare
aprox. 1636 m
-
Teren sportiv
aprox. 1553 m
Teren intravilan 500 sau 1000 mp Bran-Tohanita la dum asfaltat
27.000 €
Bran, Județul Brașov
Descriere
Raportează anunț
Sesizează o problemă
Teren intravilan 500 sau 1000 mp Bran-Tohanita la dum asfaltat
Teren intravilan 500 sau 1000 mp Bran-Tohanita la dum asfaltat
Terenul este situat in zona Bran Tohanita cu deschidere la drumul asfaltat ce leaga Branul de Zarnesti.Este o zona de constructii noi cu priveliste foare frumoasa .
Utilitati:Curentul si gazul sunt in fata terenului.
Terenul este intravilan si are :Carte funciara, Cadastru actualizat si Certificate de urbanism.
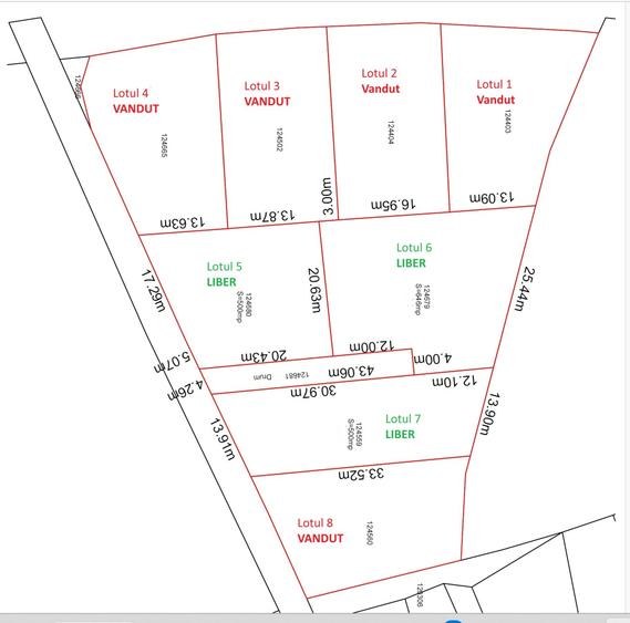
Pentru a vedea disponibilitatea loturilor consultati schita atasata.
Sunt disponibile 7 loturi:
Lotul 1:suprafata 500 mp, pret 29000+TVA euro-Rezervat
Lotul 2:suprafata 500 mp, pret 29000 +TVA euro -Rezervat
Lotul 3:suprafata 500 mp, pret 29000+TVA euro -Liber
Lotul 4: suprafata 539 mp, pret 29000+TVA euro -Liber
Lotul 5:suprafata 1200 mp, pret 63000+TVA euro -Liber(se poate parcela in 2)
Lotul 7:suprafata 500 mp, pret 27000+TVA euro -Liber
Lotul 8:suprafata 500 mp, pret 27000+TVA euro -Liber
Daca vanzarea se face catre firme platitoare de TVA ,preturile de vanzare vor fi fara TVA.Daca se vinde catre persoane fizice se adauga TVA de 21%.
Distante:
-10 km fata de castelul Bran
-25 km fata de Brasov
-4 km fata de Zarnesti
-15 km fata de Rasnov
Administrativ terenul apartine de primaria Zarnesti.
Confom Certificatului de Urbanism pe teren se pot construi case de locuit si de agrement cu dotarile aferente.
-se poate construi pe loturi de minim 500 mp
-Procentul de ocupare al terenului(POT): maxim 35%
-Coeficientul de utilizre a terenului(CUT): maxim 0,85
Comison Cumparator 0%
Citește mai mult
Citește mai puțin
ID anunț: 8516553
Actualizat în: 05 Octombrie 2025
Suprafață teren:
500 mp
Front stradal:
18 m
Istoric preț
Utilități
Utilități
Gaze
Proprietăți similare
Abonează-te la newsletter să fii primul care primește cele mai noi recomandări de proprietăți și sfaturi de la experți.
Căutări similare
- Terenuri construcții de vânzare în Bran
- Terenuri construcții de vânzare în Brașov
- Terenuri construcții de vânzare în Râșnov
- Terenuri construcții de vânzare în Cristian
- Terenuri construcții de vânzare în Sânpetru
- Terenuri construcții de vânzare în Săcele
- Terenuri construcții de vânzare în Hărman
- Terenuri construcții de vânzare în Bod
- Terenuri construcții de vânzare în Poiana Brașov
- Terenuri construcții de vânzare în Prejmer
- Terenuri construcții de vânzare în Ghimbav
- Terenuri construcții de vânzare în Predeal