Teren , curti constructii , Arad Zona Gai

230.000 € + TVA
30.47 € + TVA / mp

Gai, Arad

Suprafață teren:
7.549 mp
Tip teren:
Construcții

Descriere teren

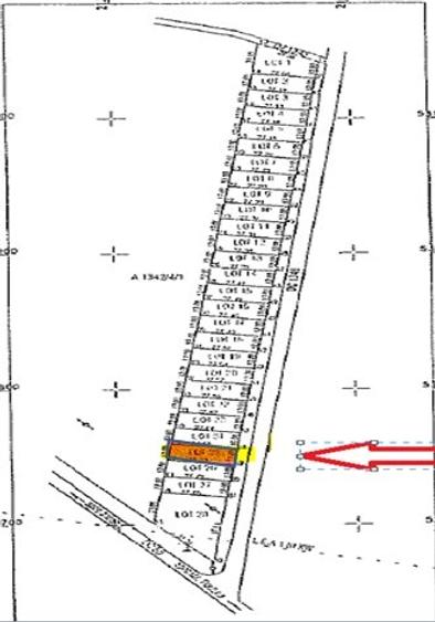
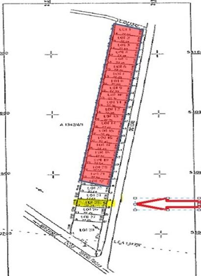
Teren (21 loturi * 330 mp), avand destinatia de teren ,,curti constructii, situat in zona periferica a municipiului Arad, in zona Gai, dupa centura Aradului la marginea drumului judetean 709C Arad - Variasu Mic, iar accesul se realizeaza din strada Campurilor. Imobilul este situat in Arad - zona Gai, judetul Arad.
Citește mai mult Citește mai puțin

Detalii teren

ID anunț: 1061946 Actualizat în: 14 Noiembrie 2025
Suprafață teren: 7.549 mp
Tip teren: Construcții
Clasificare teren: Intravilan

Istoric preț

Facilități

Amenajare străzi
Asfaltate
Alte caracteristici
Oportunitate de investiție

Puncte de interes

Mijloace transport
transport
Galleria
Mijloace transport aprox. 1723 m
transport
Galleria
Mijloace transport aprox. 1752 m
transport
Fortuna
Mijloace transport aprox. 1930 m
Școală
education
Gradinita cu program prelungit nr. 8
Învățământ aprox. 1223 m
education
Gradinita cu program normal Nr. 7
Învățământ aprox. 1393 m
education
Scoala Generala Fratii Neumann
Învățământ aprox. 1425 m
education
Scoala Gimnaziala nr. 11 Nicolae Balcescu
Învățământ aprox. 1773 m
Recreere
restaurants
Kmikze Rap
Restaurante aprox. 422 m
shopping
Pronto Market
Supermarket/Mall aprox. 882 m
shopping
Flana Market
Supermarket/Mall aprox. 939 m
parks
Parc
Recreere aprox. 965 m

Proprietăți similare

Teren Construcții intravilan de 806 mp, în Intim
219.993 €
Arad, Intim
806 mp teren
Construcții
Teren Construcții extravilan de 21000 mp, în Exterior Nord
210.000 €
Arad, Exterior Nord
21.000 mp teren
Construcții
Teren Construcții intravilan de 439 mp, în Central
210.000 €
Arad, Central
439 mp teren
Construcții
Teren Construcții intravilan de 8307 mp, în Exterior Nord
249.210 €
Arad, Exterior Nord
8.307 mp teren
Construcții
Teren Construcții intravilan de 7653 mp, în Nord
250.000 €
Arad, Nord
7.653 mp teren
Construcții
Teren Construcții intravilan de 21529 mp, în Vladimirescu
225.000 €
Județul Arad, Vladimirescu
21.529 mp teren
Construcții
Teren Construcții intravilan de 5000 mp, în Livada
225.000 €
Județul Arad, Livada
5.000 mp teren
Construcții
Teren Construcții intravilan de 5614 mp, în Exterior Nord
225.000 €
Județul Arad, Lipova
5.614 mp teren
Construcții

Abonează-te la newsletter să fii primul care primește cele mai noi recomandări de proprietăți și sfaturi de la experți.