Teren 19.470 mp, dezvoltare imobiliara, Green City - 1 Decembrie, Ilfov

1.557.600 € + TVA
80 € + TVA / mp

1 Decembrie, Judeţul Ilfov

Suprafață teren:
19.470 mp
Tip teren:
Construcții

Descriere teren

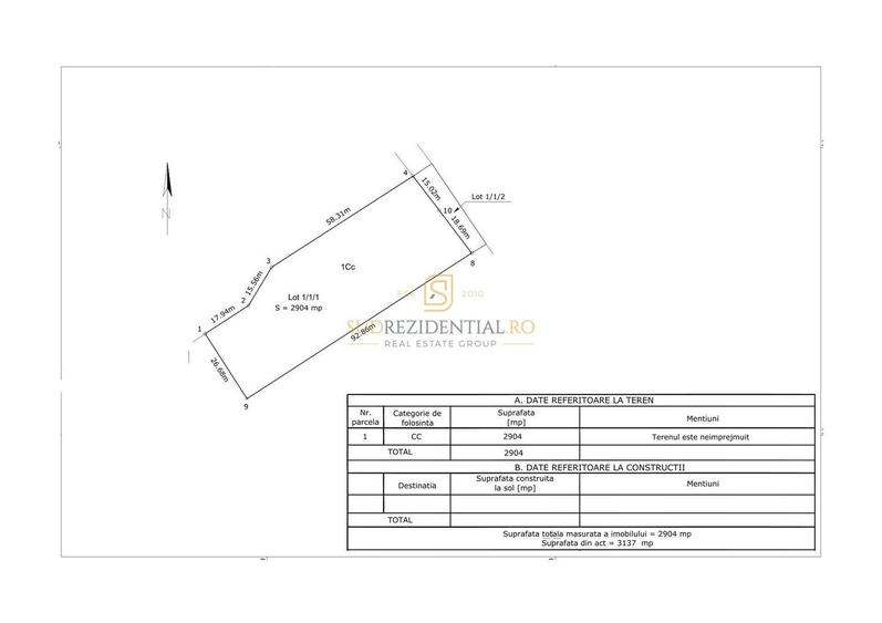
De vanzare – Teren intravilan construibil de 19.470 mp in ansamblul Rezidential Green City, Localitatea 1 Decembrie, Ilfov O oportunitate rara pentru dezvoltatara unui proiect rezidential de succes! Acest teren generos, cu suprafata de19.470 mp, este situat strategic in zona de Sud a ariei metropolitane Bucuresti, in Localitatea 1 Decembrie, Ilfov, in incinta ansamblului rezidential Green City. Amplasarea sa de exceptie pe Str. Bucuresti, cu acces direct din DJ503, permite o legatura facila cu Autostrada A0 si acces rapid la Centura Capitalei si faciliteaza conexiuni directe catre autostrazile A1, A2 si A3. Detalii Tehnice - Suprafata totala: 19.470 mp, dezmembrat in trei loturi: - Lot 1: 13.266 mp - Lot 2: 2.904 mp - Lot 3: 2.780 mp - Deschidere stradala: 114 metri liniari - Regim de inaltime: Parter + 2 etaje - POT(Procent de Ocupare a Terenului): 35% - CUT(Coeficient de Utilizare a Terenului): 1.05 - Certificat Urbanism: Valabil pentru lotul de 2.904 mp - PUZ: In lucru pentru intreaga suprafata de 19.470 mp Facilitati si Utilitati Terenul dispune de toate utilitatile necesare, inclusiv gaze, electricitate, apa si canalizare pluviala. Drumul de acces care strabate proiectul are o latime de 7 metri, asigura o circulatie optima pentru rezidenti si vizitatori. Terenul se afla pe E70 (DJ503) cu acces facil catre Giurgiu si Bucuresti: - 8 kmpana la Centura Capitalei - 4 kmpana la intrarea in Autostrada A0 Zona rezidentiala si beneficiile investitiei Terenul este situat intr-o zona rezidentiala noua, formata preponderent din case noi si vile moderne. Ansamblul Green City, in care se afla terenul, este o comunitate bine dezvoltata, cu acces la strazi largi si infrastructura moderna, si faciliteaza o dezvoltare imobiliara de succes. Acest teren reprezinta o oportunitate excelenta pentru investitori, ofera un spatiu vast si bine conectat pentru proiecte rezidentiale de anvergura. In pretul afisat nu este inclusa cota de TVA.
Citește mai mult Citește mai puțin
Apă Canalizare

Detalii teren

ID anunț: 29519 Actualizat în: 26 Ianuarie 2026
Suprafață teren: 19.470 mp
Tip teren: Construcții
Clasificare teren: Intravilan
Front stradal: 114 m

Istoric preț

Facilități

Utilități
Apă Canalizare
Amenajare străzi
Iluminat stradal Mijloace de transport în comun Asfaltate
Alte caracteristici
Acces auto Parcelabil Teren împrejmuit
Facilități
Utilități în zonă

Puncte de interes

Școală
education
GreenCity kindergarden (en)
Învățământ aprox. 317 m
education
scoala 305 (veche)
Învățământ aprox. 919 m
education
scoala 305 (noua)
Învățământ aprox. 1263 m
Recreere
parks
Parc
Recreere aprox. 239 m
restaurants
Renaissance Restaurant GreenCity (en)
Restaurante aprox. 312 m
parks
Parc
Recreere aprox. 315 m
shopping
Mega Image - Green City
Supermarket/Mall aprox. 675 m

Proprietăți similare

Teren Construcții intravilan de 9931 mp, în Odăi
1.489.650 €
Județul Ilfov, Otopeni
9.931 mp teren
Construcții
Teren Construcții intravilan de 65000 mp, în Căciulați
1.430.000 €
Județul Ilfov, Căciulați
65.000 mp teren
Construcții
Teren Construcții intravilan de 19326 mp, în Ferme
1.500.000 €
Județul Ilfov, Otopeni
19.326 mp teren
Construcții
Teren Construcții intravilan de 9157 mp, în Corbeanca
1.599.727 €
Județul Ilfov, Corbeanca
9.157 mp teren
Construcții
Teren Construcții intravilan de 30400 mp, în Exterior Nord
1.520.000 €
Județul Ilfov, Otopeni
30.400 mp teren
Construcții
Teren Construcții extravilan de 44950 mp, în Dragomirești-Vale
1.530.000 €
Județul Ilfov, Dragomirești-Vale
44.950 mp teren
Construcții
Teren Construcții intravilan de 20400 mp, în Tunari
1.530.000 €
Județul Ilfov, Tunari
20.400 mp teren
Construcții
Teren Construcții intravilan de 40000 mp, în Șindrilița
1.500.000 €
Județul Ilfov, Șindrilița
40.000 mp teren
Construcții
Teren Construcții intravilan de 26650 mp, în Corbeanca
1.465.700 €
Județul Ilfov, Corbeanca
26.650 mp teren
Construcții

Abonează-te la newsletter să fii primul care primește cele mai noi recomandări de proprietăți și sfaturi de la experți.